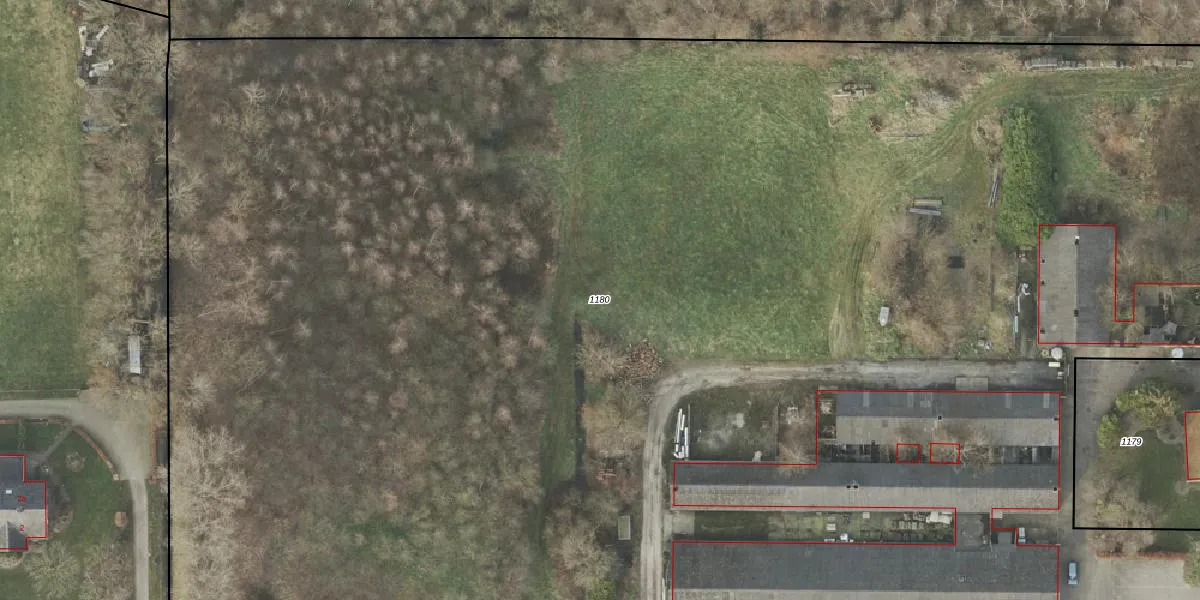
Perceel: WDN02-M-1180
Geen adressen bij dit perceel
24.290 m2 - 699 m
Eigenaar opvragen
WDN02-M-1180 (Wierden)
- Geen postcode aanwezig
IVNJ7nCGIxK7Z91j RUpgrade naar KadastraleKaart Pro
Bekijk op Street View
Download DWG/DXF/Excel
y85ZsEN7Ecj8IIeUpgrade naar KadastraleKaart Pro
NCVA9pF31Upgrade naar KadastraleKaart Pro
8V0EPUo0t vUpgrade naar KadastraleKaart Pro
DrGtmlIX6mL8GqtPHA9UlUpgrade naar KadastraleKaart Pro
cqKEMc3CPdbF2GpPCUpgrade naar KadastraleKaart Pro
Y InJr eC6Upgrade naar KadastraleKaart Pro
f4 aa4O2S23YUpgrade naar KadastraleKaart Pro
cZz1 lQw0XuByUpgrade naar KadastraleKaart Pro
L5toYJ9GwNrMXLT q Upgrade naar KadastraleKaart Pro
cLXP FZzdOP6ZUpgrade naar KadastraleKaart Pro
02/07/2013

Percelen
Gebruik de zoekbalk of klik op een perceel om informatie over het perceel te bekijken.