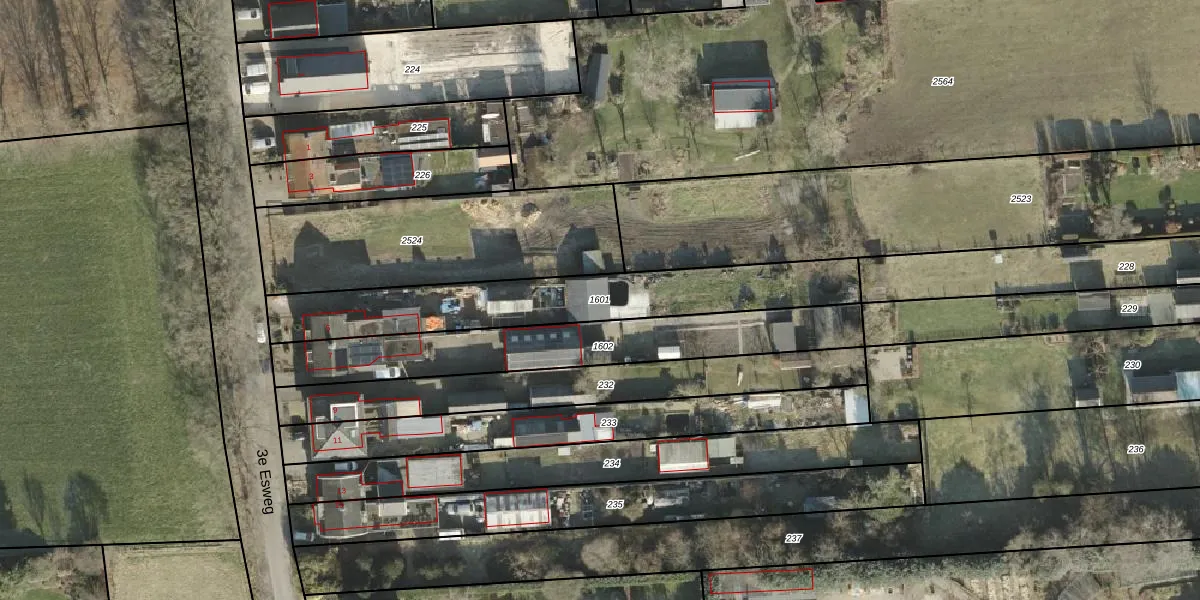
Perceel: WDN02-O-1601
KadastraleKaart.com kan meer dan je denktOntdek meer ›
Filter op bestemming 50+ datasets Eigendomsdata in één klik Percelen CRM
775 m2 - 213 m
Eigenaar opvragen
WDN02-O-1601 (Wierden)
- 7642 LB
osAg17 Vpw7nBesIlqUpgrade naar KadastraleKaart Pro
Verkoopprijs opvragen
Bekijk op Street View
Download DWG/DXF/Excel
6 62P1TrN0BPwUpgrade naar KadastraleKaart Pro
Yof5WCsPNN50NQsiBYUpgrade naar KadastraleKaart Pro
Oo2oh2H6 4ucbj3bUpgrade naar KadastraleKaart Pro
fM98XfvrhVsVZIqUpgrade naar KadastraleKaart Pro
z2GxdkF7BUpgrade naar KadastraleKaart Pro
e0A LZJ849Gg6sb5nUpgrade naar KadastraleKaart Pro
3u6ocaORxUpgrade naar KadastraleKaart Pro
sD7qAZSYj RUpgrade naar KadastraleKaart Pro
xhFD1vl5Wo COzvUpgrade naar KadastraleKaart Pro
mEBPvj LUpgrade naar KadastraleKaart Pro
05/12/2000

Percelen
Gebruik de zoekbalk of klik op een perceel om informatie over het perceel te bekijken.