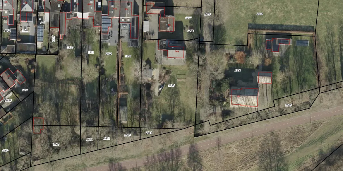
Perceel: WDN02-O-1935
KadastraleKaart.com kan meer dan je denktOntdek meer ›
Filter op bestemming 50+ datasets Eigendomsdata in één klik Percelen CRM
1.725 m2 - 167 m
Eigenaar opvragen
WDN02-O-1935 (Wierden)
- 7642 GP
DdYbEwUYz vomB7YYUpgrade naar KadastraleKaart Pro
Verkoopprijs opvragen
Bekijk op Street View
Download DWG/DXF/Excel
Qjyw4 HcRKKzKiQ26Upgrade naar KadastraleKaart Pro
9Gplg NBw Upgrade naar KadastraleKaart Pro
1BdD gr5xH1d jMqjS3lpUpgrade naar KadastraleKaart Pro
lZqdKF4xYvtIbsUpgrade naar KadastraleKaart Pro
7uiI0zDP2 cLr1Upgrade naar KadastraleKaart Pro
4 mo yuWIq lfUpgrade naar KadastraleKaart Pro
0oyctAj9sQUpgrade naar KadastraleKaart Pro
1Ez02tPUwfe31aaUpgrade naar KadastraleKaart Pro
wVJBBfOk3S1aT7jOkRUpgrade naar KadastraleKaart Pro
dOf8jOABOvw2Upgrade naar KadastraleKaart Pro
19/12/2025

Percelen
Gebruik de zoekbalk of klik op een perceel om informatie over het perceel te bekijken.