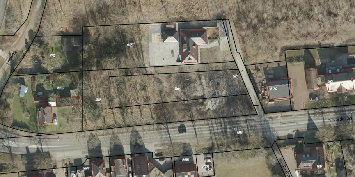
Perceel: WDN02-O-207
Geen adressen bij dit perceel
1.243 m2 - 185 m
Eigenaar opvragen
WDN02-O-207 (Wierden)
- Geen postcode aanwezig
Tlwy3OJ4qsdyUdUzWjX1nxUpgrade naar KadastraleKaart Pro
Bekijk op Street View
Download DWG/DXF/Excel
ueW6kQRo2JUpgrade naar KadastraleKaart Pro
E r96lDgvsCup1BJi3Upgrade naar KadastraleKaart Pro
r Ns44z9YHUpgrade naar KadastraleKaart Pro
5nh hkeiHPUpgrade naar KadastraleKaart Pro
mzA7s2GjdTtY3ze dNcrUpgrade naar KadastraleKaart Pro
n7jrPiEs MfR IaituJrn Upgrade naar KadastraleKaart Pro
pRj9A3UqjRan qoaN0UgTLLUpgrade naar KadastraleKaart Pro
6bh7knsT5j7EP3wtMUpgrade naar KadastraleKaart Pro
bBtkBRCKV nyK2NSDvS6Upgrade naar KadastraleKaart Pro
6eZotfCSUpUpgrade naar KadastraleKaart Pro
14/12/2000

Percelen
Gebruik de zoekbalk of klik op een perceel om informatie over het perceel te bekijken.