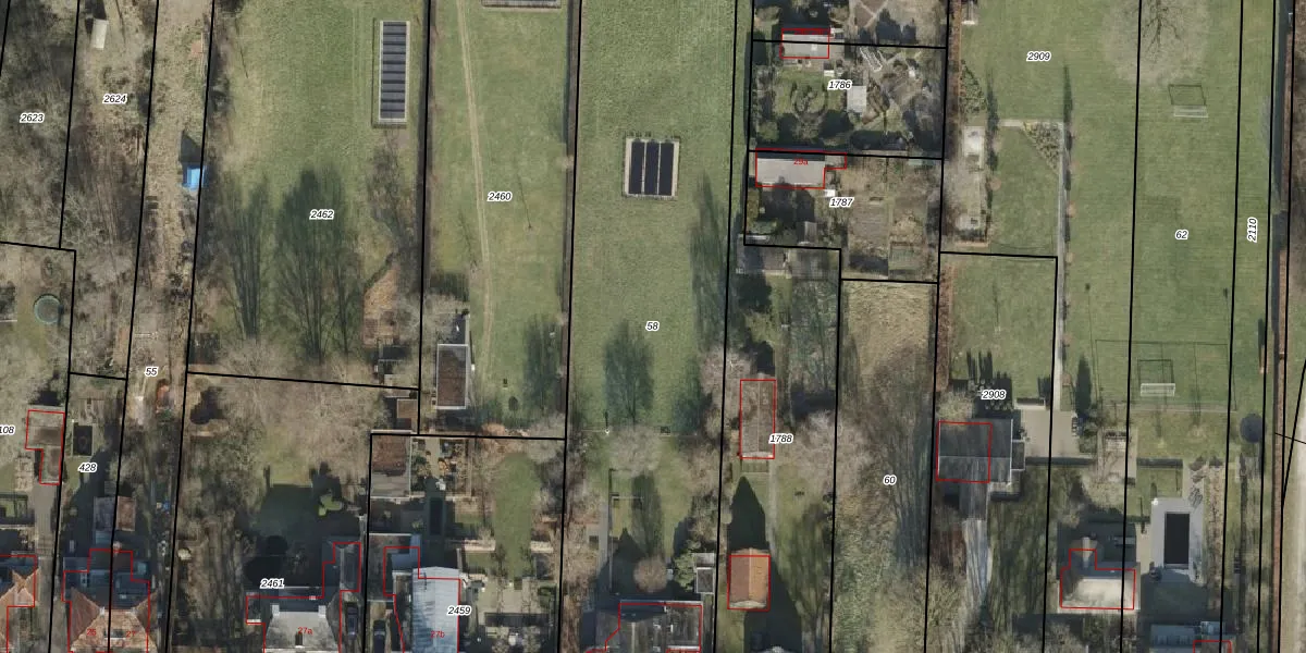
Perceel: WDN02-O-58
3.300 m2 - 326 m
Eigenaar opvragen
WDN02-O-58 (Wierden)
- 7642 GL
DZ 0uADfYAe AWfUpgrade naar KadastraleKaart Pro
Bekijk op Street View
Download DWG/DXF/Excel
d1PO3H6haUpgrade naar KadastraleKaart Pro
53IrbCEcQeQ zMXh9MUpgrade naar KadastraleKaart Pro
9E9YrtA J 9OTFUpgrade naar KadastraleKaart Pro
JTkjfP55DF F0Upgrade naar KadastraleKaart Pro
Vmc6T yN4OD MDPwKb LSdUpgrade naar KadastraleKaart Pro
yPc k rS1I38ZF6C2x4BUpgrade naar KadastraleKaart Pro
EI2EpVprJUpgrade naar KadastraleKaart Pro
px urBOm9vJth15XUpgrade naar KadastraleKaart Pro
nyXDc5xmTuT fKYUUpgrade naar KadastraleKaart Pro
6jm2RheCABxUpgrade naar KadastraleKaart Pro
20/01/2003

Percelen
Gebruik de zoekbalk of klik op een perceel om informatie over het perceel te bekijken.