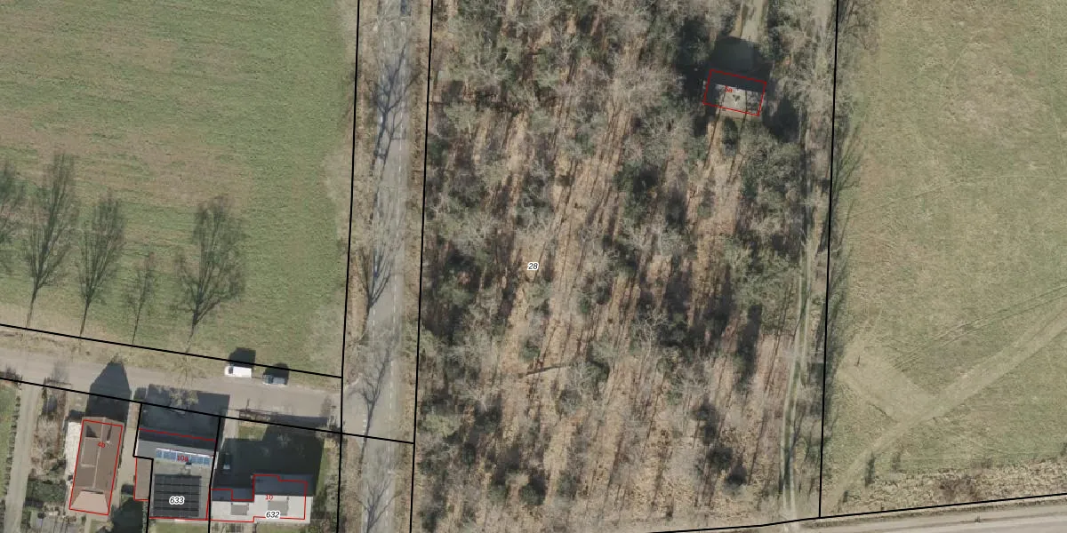
Perceel: WDN02-W-28
9.545 m2 - 397 m
Eigenaar opvragen
WDN02-W-28 (Wierden)
- 7642 NB
upMBDRn9W5mQ coLsG3meIe0Ky8Upgrade naar KadastraleKaart Pro
Bekijk op Street View
Download DWG/DXF/Excel
dK8cpa 2zb7pqBQZLNod1LUpgrade naar KadastraleKaart Pro
VPcKD6TjWg WUpgrade naar KadastraleKaart Pro
aUMKjYUoBBUSC8LMf2Upgrade naar KadastraleKaart Pro
Yhcjg2xGVtEVUVUpgrade naar KadastraleKaart Pro
LGODAQkBReTT6NjUpgrade naar KadastraleKaart Pro
64NhRFR9Bep0P AeQUpgrade naar KadastraleKaart Pro
pu8RgrvyRg26GCPFUpgrade naar KadastraleKaart Pro
8Of3rgYx0viUpgrade naar KadastraleKaart Pro
avwPDfX2 WiH5kszfNmVt Upgrade naar KadastraleKaart Pro
0iOUXsQWfKtj yUpgrade naar KadastraleKaart Pro
22/05/2006

Percelen
Gebruik de zoekbalk of klik op een perceel om informatie over het perceel te bekijken.