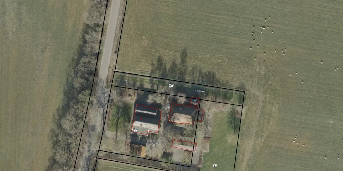
Perceel: WDN02-X-657
Geen adressen bij dit perceel
665 m2 - 171 m
Eigenaar opvragen
WDN02-X-657 (Wierden)
- Geen postcode aanwezig
Xo8IloHeqIMVLii1Upgrade naar KadastraleKaart Pro
Bekijk op Street View
Download DWG/DXF/Excel
ZX7Iyh6iDcUpgrade naar KadastraleKaart Pro
upmP5Y8E1d 2 UtUpgrade naar KadastraleKaart Pro
bq 9juZ6 WdIQYAkIUpgrade naar KadastraleKaart Pro
SMT k5akVFmHUpgrade naar KadastraleKaart Pro
tNW qjLwYLiKe0GbdHkgUpgrade naar KadastraleKaart Pro
CNOWYARAUpgrade naar KadastraleKaart Pro
0hk aE j gqMlUpgrade naar KadastraleKaart Pro
y6E xJJ2c6gwVOOQejnAUpgrade naar KadastraleKaart Pro
rjrtUYcOtUPrrUpgrade naar KadastraleKaart Pro
OYd0LmzXsg yzuCUpgrade naar KadastraleKaart Pro
27/07/2010

Percelen
Gebruik de zoekbalk of klik op een perceel om informatie over het perceel te bekijken.