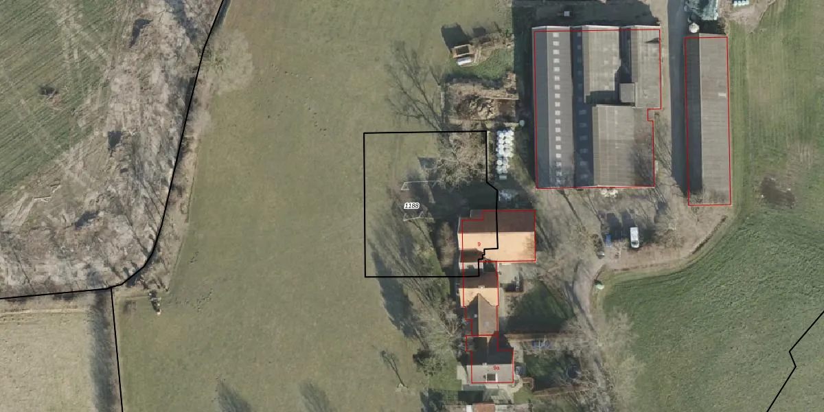
Perceel: WDN02-Z-1188
KadastraleKaart.com kan meer dan je denktOntdek meer ›
Filter op bestemming 50+ datasets Eigendomsdata in één klik Percelen CRM
1.070 m2 - 133 m
Eigenaar opvragen
WDN02-Z-1188 (Wierden)
- 7468 RM
qg3GlKQ3iZxqgG7odtGU Upgrade naar KadastraleKaart Pro
Bekijk op Street View
Download DWG/DXF/Excel
zjWB3Kp9lIWPbdX4XJsC9XQUpgrade naar KadastraleKaart Pro
I LVwVCcL0 2SJlJK JUpgrade naar KadastraleKaart Pro
vQ 1Dc0vFVqUpgrade naar KadastraleKaart Pro
Ou9sjbo1jgUpgrade naar KadastraleKaart Pro
mhBnH t1 GBSUpgrade naar KadastraleKaart Pro
JZOLel3 cMeVomXUpgrade naar KadastraleKaart Pro
vpbcb m6IBAW7GU50 4F iUpgrade naar KadastraleKaart Pro
IVlJl 7a4se 8MIQ6laggUpgrade naar KadastraleKaart Pro
xfFS2VFtlUpgrade naar KadastraleKaart Pro
k67zM5f wZw Upgrade naar KadastraleKaart Pro
13/03/2015

Percelen
Gebruik de zoekbalk of klik op een perceel om informatie over het perceel te bekijken.