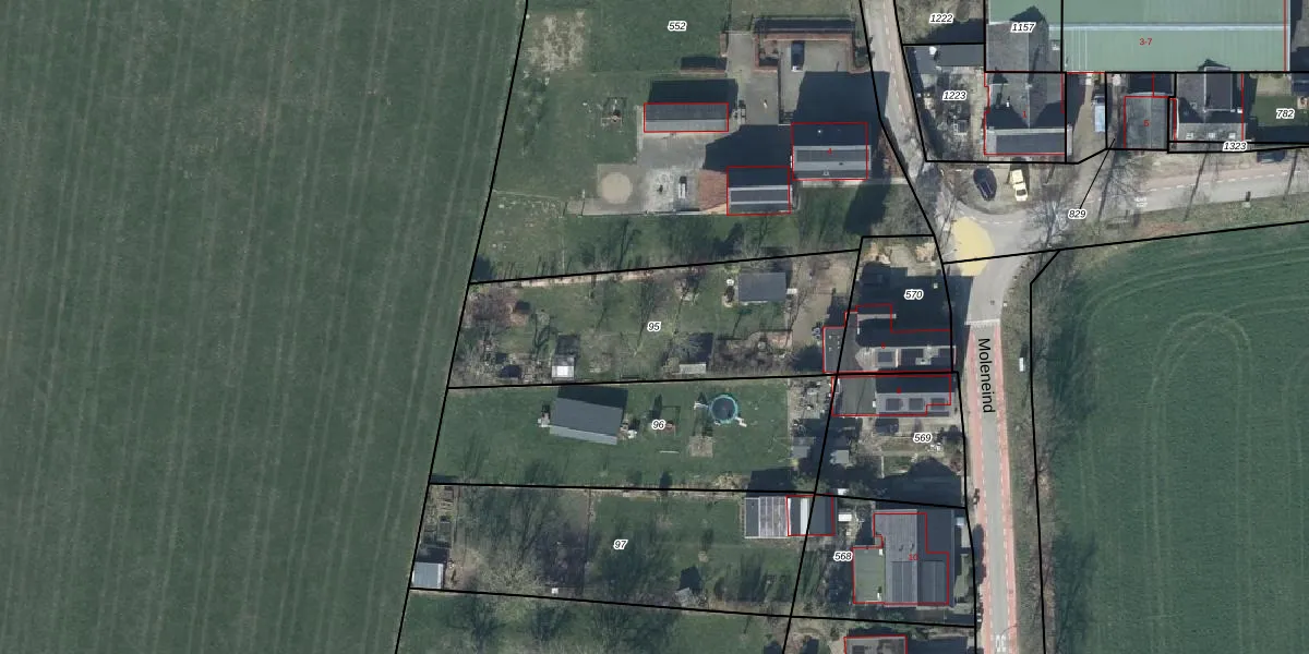
Perceel: WDN03-E-95
KadastraleKaart.com kan meer dan je denktOntdek meer ›
Filter op bestemming 50+ datasets Eigendomsdata in één klik Percelen CRM
Geen adressen bij dit perceel
986 m2 - 155 m
Eigenaar opvragen
WDN03-E-95 (Wadenoijen)
- Geen postcode aanwezig
DsJLpxDMz2YJxAmBlKCANcrcdoLUpgrade naar KadastraleKaart Pro
Bekijk op Street View
Download DWG/DXF/Excel
QjZul41sYLUpgrade naar KadastraleKaart Pro
5IgNCeLPYyUpgrade naar KadastraleKaart Pro
4Vm2JUL EvUpgrade naar KadastraleKaart Pro
hZNq84CrBlmyY61 NfcNs Upgrade naar KadastraleKaart Pro
o2 Xl v3WJCW7 e1Upgrade naar KadastraleKaart Pro
re0VsNPbXM1oUpgrade naar KadastraleKaart Pro
30k2T 0Y2jD08pkKFrlxggUpgrade naar KadastraleKaart Pro
LfZ5Uiv9lUpgrade naar KadastraleKaart Pro
fYb8volrOH9IL4 GCeYxjUpgrade naar KadastraleKaart Pro
OECOaBWvlxqSLiAFJyoUpgrade naar KadastraleKaart Pro
11/03/2003

Percelen
Gebruik de zoekbalk of klik op een perceel om informatie over het perceel te bekijken.