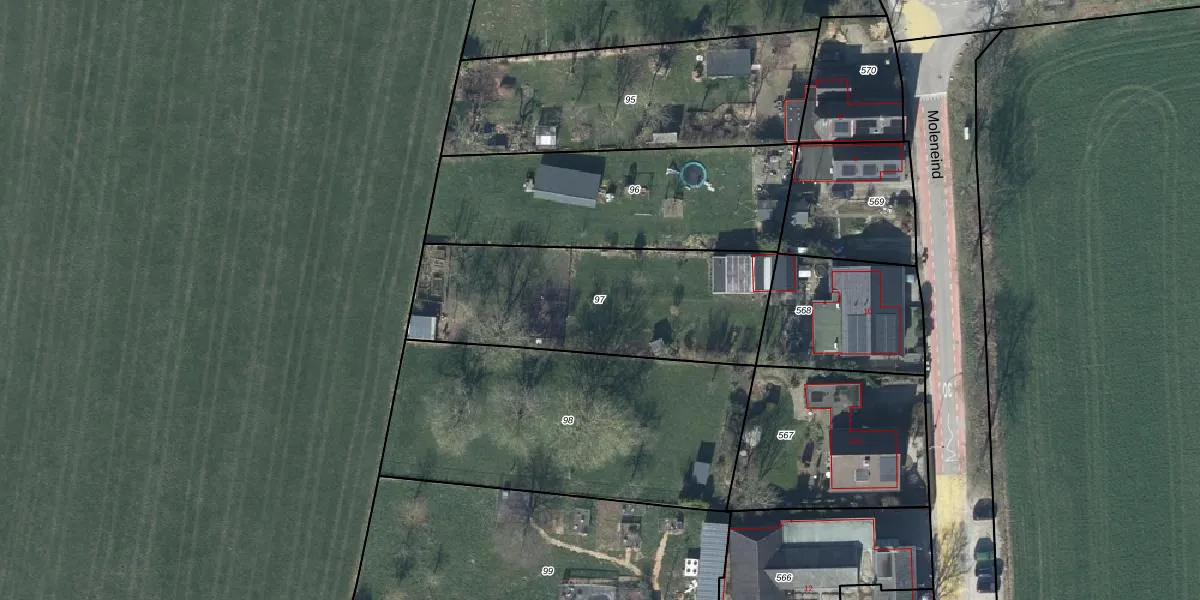
Perceel: WDN03-E-97
KadastraleKaart.com kan meer dan je denktOntdek meer ›
Filter op bestemming 50+ datasets Eigendomsdata in één klik Percelen CRM
Geen adressen bij dit perceel
1.036 m2 - 153 m
Eigenaar opvragen
WDN03-E-97 (Wadenoijen)
- Geen postcode aanwezig
8MQg6e3ftZp0a5M817rgSg Upgrade naar KadastraleKaart Pro
Bekijk op Street View
Download DWG/DXF/Excel
gCM0HyS2M SOWUpgrade naar KadastraleKaart Pro
pKpYY2P4UArAekWWJ62zUpgrade naar KadastraleKaart Pro
GcgAE3OOIkLJGNTZwGwf8Upgrade naar KadastraleKaart Pro
7 7pszLpRoeCf6b1nUpgrade naar KadastraleKaart Pro
zWAu0cx6eD3v9PUUpgrade naar KadastraleKaart Pro
Q 6hKLryPXh 4 A2Fde QUpgrade naar KadastraleKaart Pro
s3Xv4Ju9pSnUpgrade naar KadastraleKaart Pro
BP6Opz4NL8PL9Y25kB2Upgrade naar KadastraleKaart Pro
s5dzD7rwUqUpgrade naar KadastraleKaart Pro
wsTLqHicC8Upgrade naar KadastraleKaart Pro
11/03/2003

Percelen
Gebruik de zoekbalk of klik op een perceel om informatie over het perceel te bekijken.