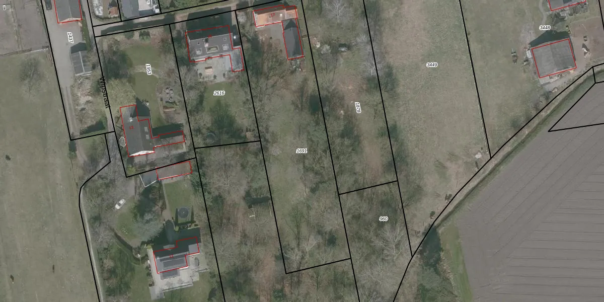
Perceel: WDT00-B-1691
KadastraleKaart.com kan meer dan je denktOntdek meer ›
Filter op bestemming 50+ datasets Eigendomsdata in één klik Percelen CRM
1.950 m2 - 222 m
Eigenaar opvragen
WDT00-B-1691 (Woensdrecht)
- 4631 RM
cx2DCisxOKe9eZ6m wJLSUpgrade naar KadastraleKaart Pro
Bekijk op Street View
Download DWG/DXF/Excel
Z5aZQQSg4CDtboJ7Upgrade naar KadastraleKaart Pro
X5gXtpoZe5 UHfY Upgrade naar KadastraleKaart Pro
4hvPGAL LC8kl8XnwFYsbXOUpgrade naar KadastraleKaart Pro
HC3lrXu cAwZZZl JHUpgrade naar KadastraleKaart Pro
5QIlnktGNw1flkmUpgrade naar KadastraleKaart Pro
Z5j ewJ9xiUpgrade naar KadastraleKaart Pro
0MJWp1Ecsy2ulZdsRP ux8Upgrade naar KadastraleKaart Pro
FTtRIykxp3TLG6YBIfXkOBvUpgrade naar KadastraleKaart Pro
K4uIyz6ZAlUpgrade naar KadastraleKaart Pro
A45CZ0S92o8rZdUpgrade naar KadastraleKaart Pro
25/09/2008

Percelen
Gebruik de zoekbalk of klik op een perceel om informatie over het perceel te bekijken.