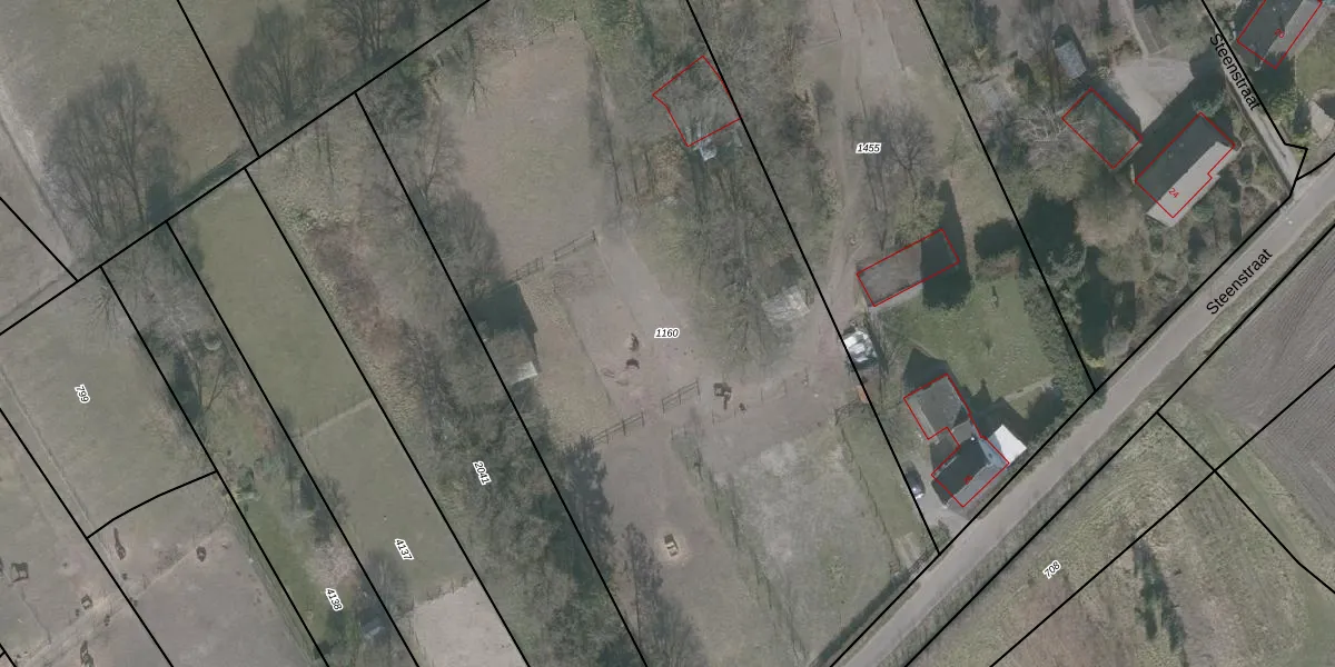
Perceel: WDT00-G-1160
KadastraleKaart.com kan meer dan je denktOntdek meer ›
Filter op bestemming 50+ datasets Eigendomsdata in één klik Percelen CRM
Geen adressen bij dit perceel
5.518 m2 - 327 m
Eigenaar opvragen
WDT00-G-1160 (Woensdrecht)
- Geen postcode aanwezig
M gHyzrOpxkHhsLZTbLMk kX81ZM6Upgrade naar KadastraleKaart Pro
Bekijk op Street View
Download DWG/DXF/Excel
g6T rVGoWUpgrade naar KadastraleKaart Pro
ujz4 FntnAsKEW9PUpgrade naar KadastraleKaart Pro
R9NHgDzPUpgrade naar KadastraleKaart Pro
tNPpgbm8g4WV93IfmLSg Upgrade naar KadastraleKaart Pro
M373os 8MSDNhvr4ezrUpgrade naar KadastraleKaart Pro
a zsz94lK ytJUpgrade naar KadastraleKaart Pro
FCdnzSDgUpgrade naar KadastraleKaart Pro
gV5lBqN40pRRYiUpgrade naar KadastraleKaart Pro
mo9BxPvDUpgrade naar KadastraleKaart Pro
fIj3DoH O7arQUpgrade naar KadastraleKaart Pro
29/06/2005

Percelen
Gebruik de zoekbalk of klik op een perceel om informatie over het perceel te bekijken.