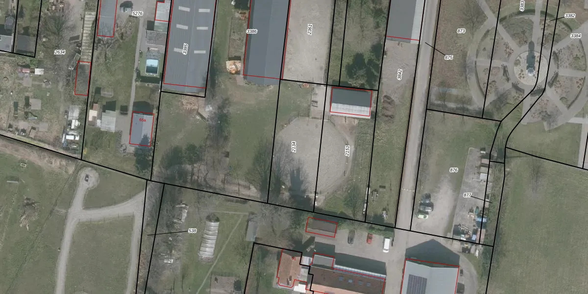
Perceel: WDT00-G-2134
KadastraleKaart.com kan meer dan je denktOntdek meer ›
Filter op bestemming 50+ datasets Eigendomsdata in één klik Percelen CRM
Geen adressen bij dit perceel
670 m2 - 118 m
Eigenaar opvragen
WDT00-G-2134 (Woensdrecht)
- Geen postcode aanwezig
uCAeSi2UnteyFimEocmMa2MsQ 4LUpgrade naar KadastraleKaart Pro
Bekijk op Street View
Download DWG/DXF/Excel
kcF2FS9I4Upgrade naar KadastraleKaart Pro
b a G KpNM58osKHQu7d3PfUpgrade naar KadastraleKaart Pro
RHm3R4LkLPgqUpgrade naar KadastraleKaart Pro
VwkWBv6MUpgrade naar KadastraleKaart Pro
v9yfTL WoBNjaXZ Upgrade naar KadastraleKaart Pro
hWIwVCT85RUpgrade naar KadastraleKaart Pro
NP 5xm0KZDfXqFUpgrade naar KadastraleKaart Pro
uovL48tMnel BcUpgrade naar KadastraleKaart Pro
ttUgavmQG0Upgrade naar KadastraleKaart Pro
OeI3G FA9EtJbD DiGQppUpgrade naar KadastraleKaart Pro
28/06/2005

Percelen
Gebruik de zoekbalk of klik op een perceel om informatie over het perceel te bekijken.