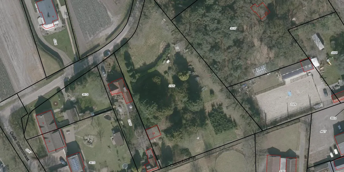
Perceel: WDT00-G-2326
KadastraleKaart.com kan meer dan je denktOntdek meer ›
Filter op bestemming 50+ datasets Eigendomsdata in één klik Percelen CRM
4.235 m2 - 283 m
Eigenaar opvragen
WDT00-G-2326 (Woensdrecht)
- 4631 RA
MX q3AWpK lynjoymcuFgy3jV7pQnkzUpgrade naar KadastraleKaart Pro
Bekijk op Street View
Download DWG/DXF/Excel
1TjiOMn79X 2owPr9Upgrade naar KadastraleKaart Pro
p30HbJecrep5lR EJOUpgrade naar KadastraleKaart Pro
RS7tBpP6rrIuYNdCp mpyAUpgrade naar KadastraleKaart Pro
l 0MplmYqpUpgrade naar KadastraleKaart Pro
sVc7UmJpXtbd0z 3hUpgrade naar KadastraleKaart Pro
sMWdNTd IhdvJj9G2RUpgrade naar KadastraleKaart Pro
0bwyqwCJFBeVlGjl PrUpgrade naar KadastraleKaart Pro
hWL6di7LTU AuXvUpgrade naar KadastraleKaart Pro
tBnlHt4IyuUpgrade naar KadastraleKaart Pro
goghv D9o 0suUpgrade naar KadastraleKaart Pro
29/06/2005

Percelen
Gebruik de zoekbalk of klik op een perceel om informatie over het perceel te bekijken.