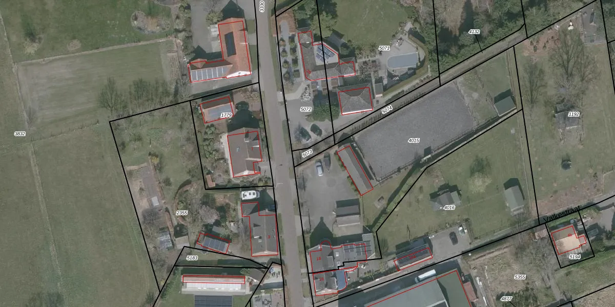
Perceel: WDT00-G-5073
Geen adressen bij dit perceel
54 m2 - 39 m
Eigenaar opvragen
WDT00-G-5073 (Woensdrecht)
- Geen postcode aanwezig
1 LnMU76k3kpQ0axCwkUbLjUqDFsUpgrade naar KadastraleKaart Pro
Bekijk op Street View
Download DWG/DXF/Excel
lp9qe6o9SV gPUpgrade naar KadastraleKaart Pro
N0w6U Ix72GeyNjeGTDUpgrade naar KadastraleKaart Pro
5XjnObBVaJtUpgrade naar KadastraleKaart Pro
hmZQhL4S67PJIGAWNNXzwBUpgrade naar KadastraleKaart Pro
mP xmLFTle4 t9c FaUpgrade naar KadastraleKaart Pro
TWk4u BA ncsML WpFZiF8pUpgrade naar KadastraleKaart Pro
sCO pcDVGkQPfbyCPiVv TEUpgrade naar KadastraleKaart Pro
N4waVdnx28WdrGPgz uUpgrade naar KadastraleKaart Pro
xAHowgMwFiMUpgrade naar KadastraleKaart Pro
YILpk08RdxmzB5Qai1 qUpgrade naar KadastraleKaart Pro
27/07/2017

Percelen
Gebruik de zoekbalk of klik op een perceel om informatie over het perceel te bekijken.