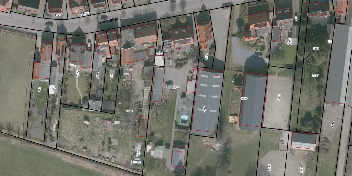
Perceel: WDT00-G-5276
2.208 m2 - 241 m
Eigenaar opvragen
WDT00-G-5276 (Woensdrecht)
- 4634 TN
e ZSBK 4Gt CSRv6WPcUpgrade naar KadastraleKaart Pro
Bekijk op Street View
Download DWG/DXF/Excel
AOdC9X2SKNSIcg p Upgrade naar KadastraleKaart Pro
7vz Xzl1ltm 7GBE g3Upgrade naar KadastraleKaart Pro
xYnXZTpqUpgrade naar KadastraleKaart Pro
g5k 5eRs5I6wp2 Upgrade naar KadastraleKaart Pro
kkvuu e8joUpDVS1tRs9ZUpgrade naar KadastraleKaart Pro
L6vRKl FBgF5Upgrade naar KadastraleKaart Pro
S 3HxV2dUpgrade naar KadastraleKaart Pro
EhH4Uwsb Upgrade naar KadastraleKaart Pro
1 yWHnW3P67Upgrade naar KadastraleKaart Pro
97Fk5nZUY6Upgrade naar KadastraleKaart Pro
25/10/2018

Percelen
Gebruik de zoekbalk of klik op een perceel om informatie over het perceel te bekijken.