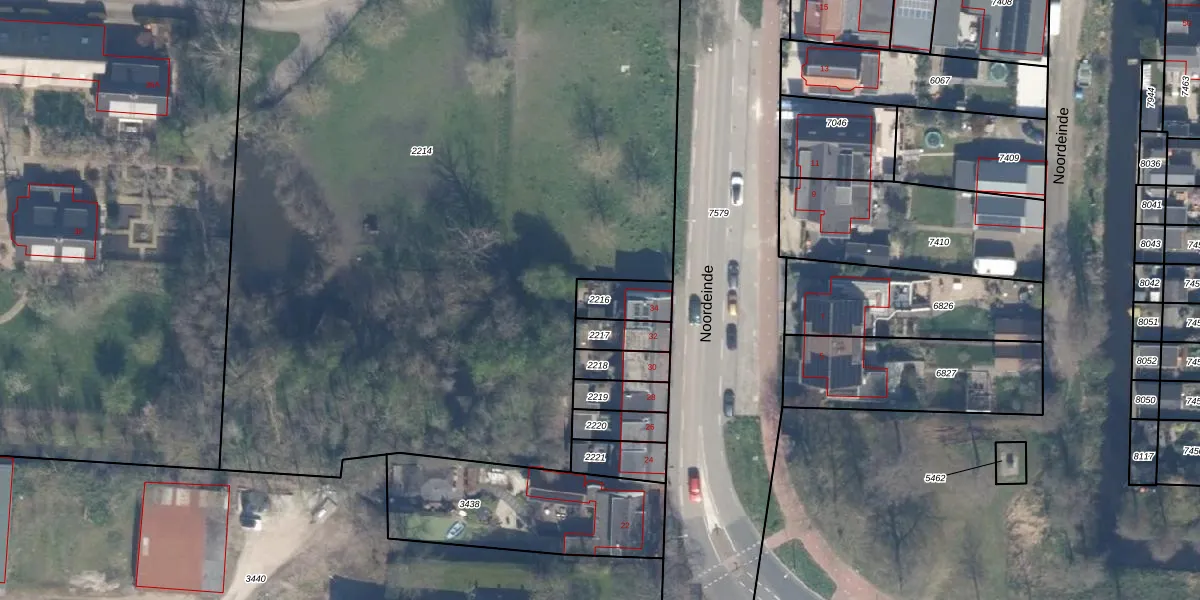
Perceel: WDV01-C-2216
KadastraleKaart.com kan meer dan je denktOntdek meer ›
Filter op bestemming 50+ datasets Eigendomsdata in één klik Percelen CRM
105 m2 - 45 m
Eigenaar opvragen
WDV01-C-2216 (Waddinxveen)
- 2742 AG
IOtj1HyacLDDSYuu9a4o8C6s5 BCUpgrade naar KadastraleKaart Pro
Verkoopprijs opvragen
Bekijk op Street View
Download DWG/DXF/Excel
wOBiHglVJlaFUpgrade naar KadastraleKaart Pro
b1OFC I d5MnUpgrade naar KadastraleKaart Pro
BAwdGDkTkwUpgrade naar KadastraleKaart Pro
SHoKEXZ0 70DCS Upgrade naar KadastraleKaart Pro
voQPrYz Ai R92T8PW3iUpgrade naar KadastraleKaart Pro
7YsvGzlI OW xN39X1Upgrade naar KadastraleKaart Pro
j pHJ w0WVZez0 Upgrade naar KadastraleKaart Pro
hjWPogtuMur6kd DAt8cUpgrade naar KadastraleKaart Pro
71tCjYAbxwPJAUpgrade naar KadastraleKaart Pro
9bHFS29 mVGVw 7iGMa 3eUpgrade naar KadastraleKaart Pro
10/09/2002

Percelen
Gebruik de zoekbalk of klik op een perceel om informatie over het perceel te bekijken.