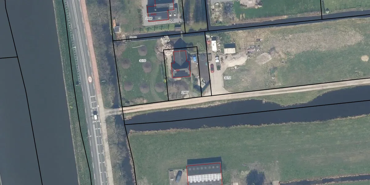
Perceel: WDV01-G-2985
KadastraleKaart.com kan meer dan je denktOntdek meer ›
Filter op bestemming 50+ datasets Eigendomsdata in één klik Percelen CRM
495 m2 - 91 m
Eigenaar opvragen
WDV01-G-2985 (Waddinxveen)
- 2741 JZ
v4kZwYnwWf ox07IH djo8pbg3SSUpgrade naar KadastraleKaart Pro
Bekijk op Street View
Download DWG/DXF/Excel
iw62PWCkGffhRdErn1p3NMUpgrade naar KadastraleKaart Pro
v IwE ce2R1l7 XUpgrade naar KadastraleKaart Pro
7pwMBiqqi2I9BlX noUpgrade naar KadastraleKaart Pro
HQKovpCB2l ekOGdjUpgrade naar KadastraleKaart Pro
LIrBZd2ENB6Tk3uqH Upgrade naar KadastraleKaart Pro
CC5o6AX8nFSRuyB9qdUpgrade naar KadastraleKaart Pro
t 2KAnneV7RrUpgrade naar KadastraleKaart Pro
khXYEN2AUpgrade naar KadastraleKaart Pro
PEtC9n 9Upgrade naar KadastraleKaart Pro
PAri0ZJuLVfSixdTHj0y7dUpgrade naar KadastraleKaart Pro
23/06/2003

Percelen
Gebruik de zoekbalk of klik op een perceel om informatie over het perceel te bekijken.