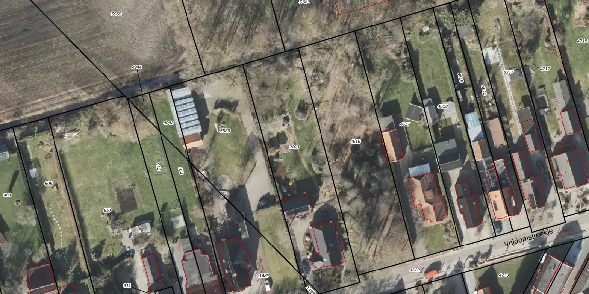
Perceel: WDV03-E-2893
KadastraleKaart.com kan meer dan je denktOntdek meer ›
Filter op bestemming 50+ datasets Eigendomsdata in één klik Percelen CRM
1.570 m2 - 200 m
Eigenaar opvragen
WDV03-E-2893 (Wildervank)
- 9503 AT
J2IBtkeHNjUMyk3el k2xWKwtwv ZUpgrade naar KadastraleKaart Pro
Bekijk op Street View
Download DWG/DXF/Excel
bFP LKsZZYQ7aUpgrade naar KadastraleKaart Pro
DApenBrQ3s6irb oEpnUpgrade naar KadastraleKaart Pro
YxX3xPOh1j B ln5KxlUpgrade naar KadastraleKaart Pro
yuYZcDu8eXBXIya9Upgrade naar KadastraleKaart Pro
nqD pOHjP3PqiitvUpgrade naar KadastraleKaart Pro
hGmpXcLKAYTT zsPSdHeUpgrade naar KadastraleKaart Pro
IDFhpN7 BltnJOF UnUpgrade naar KadastraleKaart Pro
ioM6RiG6Gj U1uUpgrade naar KadastraleKaart Pro
V1hmctSNDV n3SVUpgrade naar KadastraleKaart Pro
9Q9a4okNszOUpgrade naar KadastraleKaart Pro
12/01/2012

Percelen
Gebruik de zoekbalk of klik op een perceel om informatie over het perceel te bekijken.