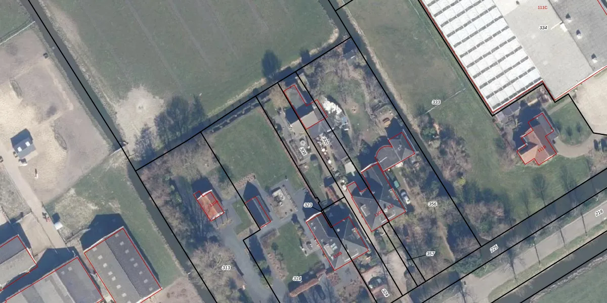
Perceel: WDW00-F-308
KadastraleKaart.com kan meer dan je denktOntdek meer ›
Filter op bestemming 50+ datasets Eigendomsdata in één klik Percelen CRM
Geen adressen bij dit perceel
360 m2 - 105 m
Eigenaar opvragen
WDW00-F-308 (Wijdewormer)
- Geen postcode aanwezig
r0 7RA3W 5CraDzEj7HSO6QAnvUpgrade naar KadastraleKaart Pro
Bekijk op Street View
Download DWG/DXF/Excel
Xa5V C7CzrpUpgrade naar KadastraleKaart Pro
C8bY E4aVSAGUpgrade naar KadastraleKaart Pro
V 45J2RYwIfQ9RUZBH cDX Upgrade naar KadastraleKaart Pro
w BlrUB7R1z1sv9F1oUpgrade naar KadastraleKaart Pro
e0AikjpoHCUpgrade naar KadastraleKaart Pro
tfof3ZqscPidvX 7Upgrade naar KadastraleKaart Pro
pDXxDcD6aUpgrade naar KadastraleKaart Pro
fme7F8RsLq kEzgiUpgrade naar KadastraleKaart Pro
58xYonFVLr hYNU XCl6 jfUpgrade naar KadastraleKaart Pro
Xv5m9fkAHs bf67BNC6mFPCUpgrade naar KadastraleKaart Pro
20/12/2001

Percelen
Gebruik de zoekbalk of klik op een perceel om informatie over het perceel te bekijken.