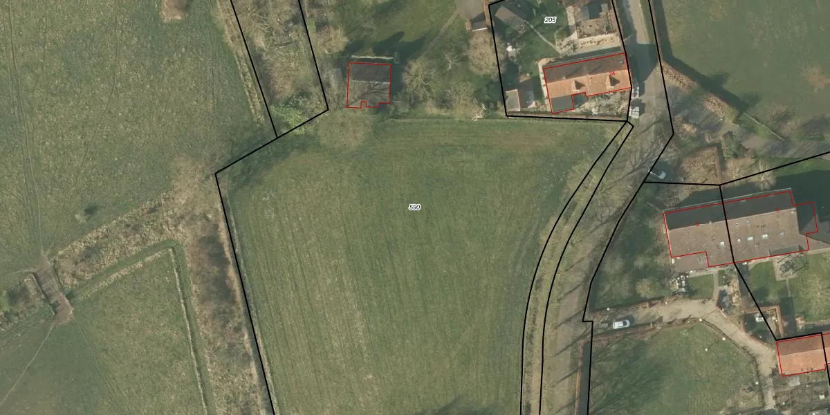
Perceel: WEE01-AA-590
8.076 m2 - 455 m
Eigenaar opvragen
WEE01-AA-590 (Weert)
- 6005 PJ
Opu7PlF30qGsrNX9 I0o JkR9Upgrade naar KadastraleKaart Pro
Bekijk op Street View
Download DWG/DXF/Excel
Jga6ea7p7re7GUT Upgrade naar KadastraleKaart Pro
hes5TPOUnSe4jGRrUpgrade naar KadastraleKaart Pro
bBZxkO7 hl xJ zPpYi cUpgrade naar KadastraleKaart Pro
mU8jr 3naYzS36 0Q7wXtWUpgrade naar KadastraleKaart Pro
2fJTXL5BbKSWsSSnOgzx1IUpgrade naar KadastraleKaart Pro
5WLzyAu5aslumAUpgrade naar KadastraleKaart Pro
t9L1nYdra Upgrade naar KadastraleKaart Pro
Ks02tcxOzUpgrade naar KadastraleKaart Pro
o4Hef T9Q8AUpgrade naar KadastraleKaart Pro
C3FOddyLUpgrade naar KadastraleKaart Pro
16/11/2006

Percelen
Gebruik de zoekbalk of klik op een perceel om informatie over het perceel te bekijken.