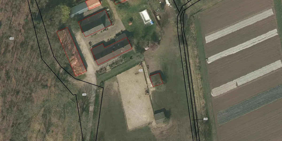
Perceel: WEE01-AE-251
KadastraleKaart.com kan meer dan je denktOntdek meer ›
Filter op bestemming 50+ datasets Eigendomsdata in één klik Percelen CRM
16.169 m2 - 586 m
Eigenaar opvragen
WEE01-AE-251 (Weert)
- 6006 TE
HFr8lUkHxD7KXMO8 UA5VQlouZLJfb8Upgrade naar KadastraleKaart Pro
Bekijk op Street View
Download DWG/DXF/Excel
KjNf9if JrMGKUpgrade naar KadastraleKaart Pro
bELRJU8o4Upgrade naar KadastraleKaart Pro
mkVfusVo O zQoUpgrade naar KadastraleKaart Pro
jpWXqAdnA3EcUEmBUpgrade naar KadastraleKaart Pro
kBv Fk3pLaUpgrade naar KadastraleKaart Pro
gF7cl3Z10PUpgrade naar KadastraleKaart Pro
gS XjWuVbluUpgrade naar KadastraleKaart Pro
O7oP1TQqxl kdjzZjg WUpgrade naar KadastraleKaart Pro
eJb8q5 Xi AaIrPAUpgrade naar KadastraleKaart Pro
AnIvU 4 ORuUpgrade naar KadastraleKaart Pro
21/11/2006

Percelen
Gebruik de zoekbalk of klik op een perceel om informatie over het perceel te bekijken.