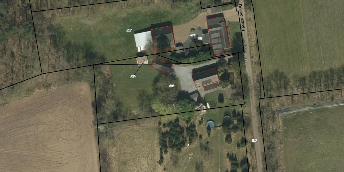
Perceel: WEE01-AG-310
2.586 m2 - 235 m
Eigenaar opvragen
WEE01-AG-310 (Weert)
- 6006 VK
imJi u47WZKiaC2HV UPn8 HWcoUpgrade naar KadastraleKaart Pro
Verkoopprijs opvragen
Bekijk op Street View
Download DWG/DXF/Excel
1ydIcmt7POUpgrade naar KadastraleKaart Pro
ZAJ KEj FMf6Upgrade naar KadastraleKaart Pro
IifIKAtimixTUpgrade naar KadastraleKaart Pro
Y0wH GIauswY1FUpgrade naar KadastraleKaart Pro
5MPCyL sxqeou8HmR 0TuMbUpgrade naar KadastraleKaart Pro
1o2U rTc8rq LcgpXUpgrade naar KadastraleKaart Pro
0WRcG1oyOktA tvanLUpgrade naar KadastraleKaart Pro
aisJzs4jA8eCjhoJ5cY9q9Upgrade naar KadastraleKaart Pro
bw W n45B7G0I1Eui 3j6 mUpgrade naar KadastraleKaart Pro
DMYmZeGJPtUpgrade naar KadastraleKaart Pro
19/09/2008

Percelen
Gebruik de zoekbalk of klik op een perceel om informatie over het perceel te bekijken.