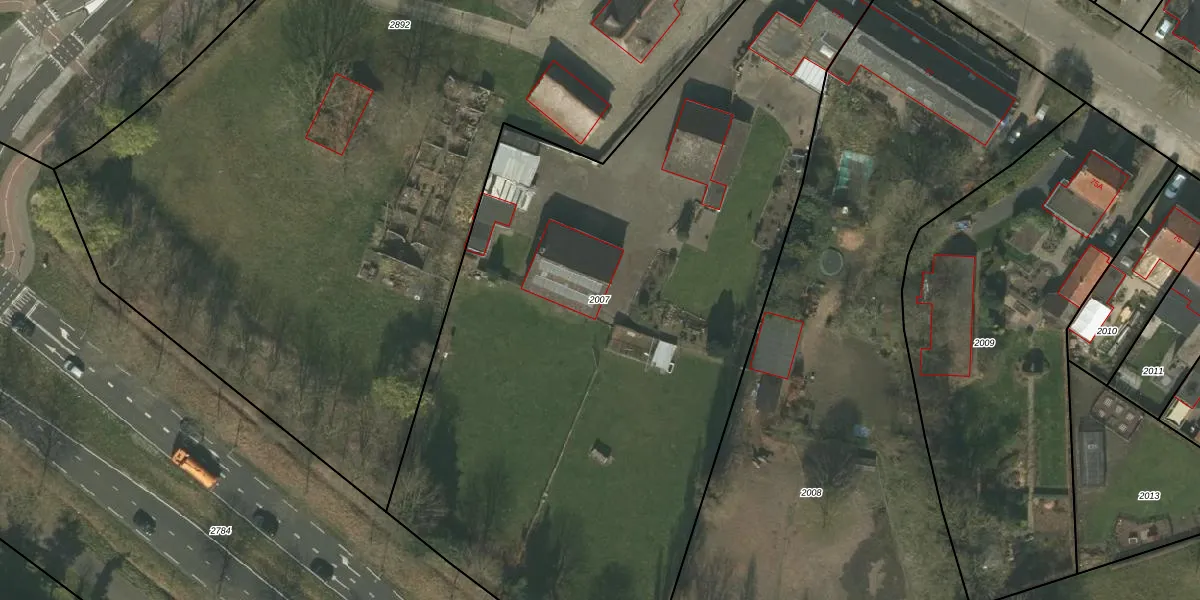
Perceel: WEE01-C-2007
4.880 m2 - 338 m
Eigenaar opvragen
WEE01-C-2007 (Weert)
- 6003 AB
FtSIR8af4lMJa4V2PEblbrF sDaBUpgrade naar KadastraleKaart Pro
Verkoopprijs opvragen
Bekijk op Street View
Download DWG/DXF/Excel
WsJ8X9c9KxKBF8EjfsCL7zUpgrade naar KadastraleKaart Pro
yhhsPs0a9OdmGt7 p0SUpgrade naar KadastraleKaart Pro
51eFZqZdqq6tUpgrade naar KadastraleKaart Pro
kvo OKRnWO4GJUpgrade naar KadastraleKaart Pro
abPchueZBlRpgFPUpgrade naar KadastraleKaart Pro
gC1RwKNezvCUpgrade naar KadastraleKaart Pro
d1HUH WMTbUpgrade naar KadastraleKaart Pro
p3XsPGOWnWEkAUpgrade naar KadastraleKaart Pro
93Yezi5PotGg V YkLN Nq7Upgrade naar KadastraleKaart Pro
vk KysutQJA bnrtoDJUpgrade naar KadastraleKaart Pro
15/11/2006

Percelen
Gebruik de zoekbalk of klik op een perceel om informatie over het perceel te bekijken.