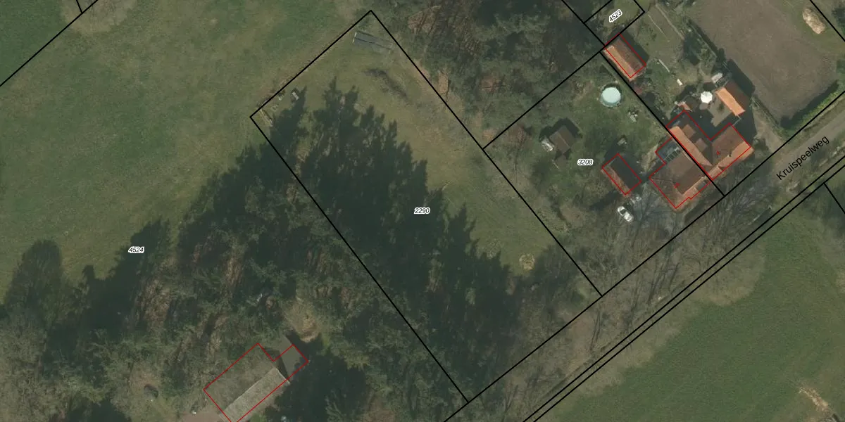
Perceel: WEE01-K-2290
Geen adressen bij dit perceel
3.180 m2 - 251 m
Eigenaar opvragen
WEE01-K-2290 (Weert)
- Geen postcode aanwezig
l dJAiG ChUI8hzc74Upgrade naar KadastraleKaart Pro
Bekijk op Street View
Download DWG/DXF/Excel
bR5GPsvaIPUpgrade naar KadastraleKaart Pro
BOBy 6Oh 1wZ9NJUpgrade naar KadastraleKaart Pro
m789BnOkCYM0cfMUpgrade naar KadastraleKaart Pro
sV4F5sgJP7NeNn jQPJUpgrade naar KadastraleKaart Pro
fdW 3V 7zArnlmUpgrade naar KadastraleKaart Pro
d3z 7NnTUpgrade naar KadastraleKaart Pro
7Kghzt5m0nnjHI 0EF SqUpgrade naar KadastraleKaart Pro
TzZ6mhZKAOaK8sIbcqUpgrade naar KadastraleKaart Pro
TaZt4Ey12ksUpgrade naar KadastraleKaart Pro
yt3ryEe9P5qc9f4j8DjUpgrade naar KadastraleKaart Pro
30/06/2009

Percelen
Gebruik de zoekbalk of klik op een perceel om informatie over het perceel te bekijken.