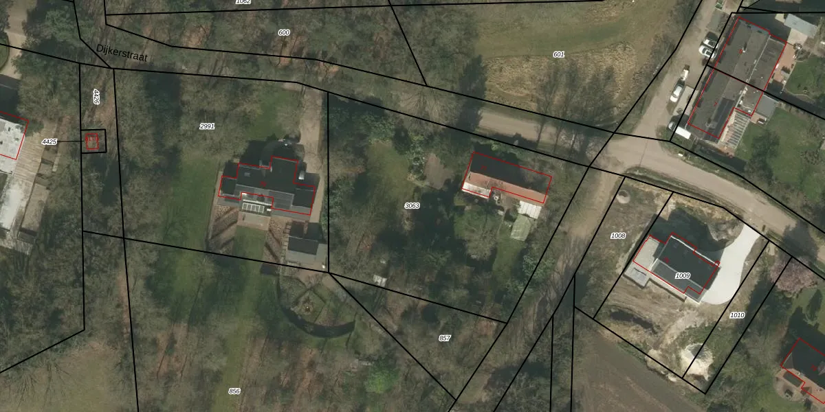
Perceel: WEE01-K-3063
2.395 m2 - 198 m
Eigenaar opvragen
WEE01-K-3063 (Weert)
- 6006 PR
6YTJf9vXj9 JHGReqxrxCAJWUpgrade naar KadastraleKaart Pro
Bekijk op Street View
Download DWG/DXF/Excel
0m WfizNmHBcx Upgrade naar KadastraleKaart Pro
xGE0Xh7MpNPUpgrade naar KadastraleKaart Pro
CHeeDfknklVvDQBljQyJ PUpgrade naar KadastraleKaart Pro
LxoFYJiUWiaUpgrade naar KadastraleKaart Pro
Q8eU IU2R4snUpgrade naar KadastraleKaart Pro
q9FiTFjeyA0Q qUpgrade naar KadastraleKaart Pro
Y uibv3kjdIkvXJ1rdvO6aLUpgrade naar KadastraleKaart Pro
cBXRBI8JikU iHUpgrade naar KadastraleKaart Pro
4bzWl26XZuUpgrade naar KadastraleKaart Pro
JSwSdiw0hHprUpgrade naar KadastraleKaart Pro
27/03/2008

Percelen
Gebruik de zoekbalk of klik op een perceel om informatie over het perceel te bekijken.