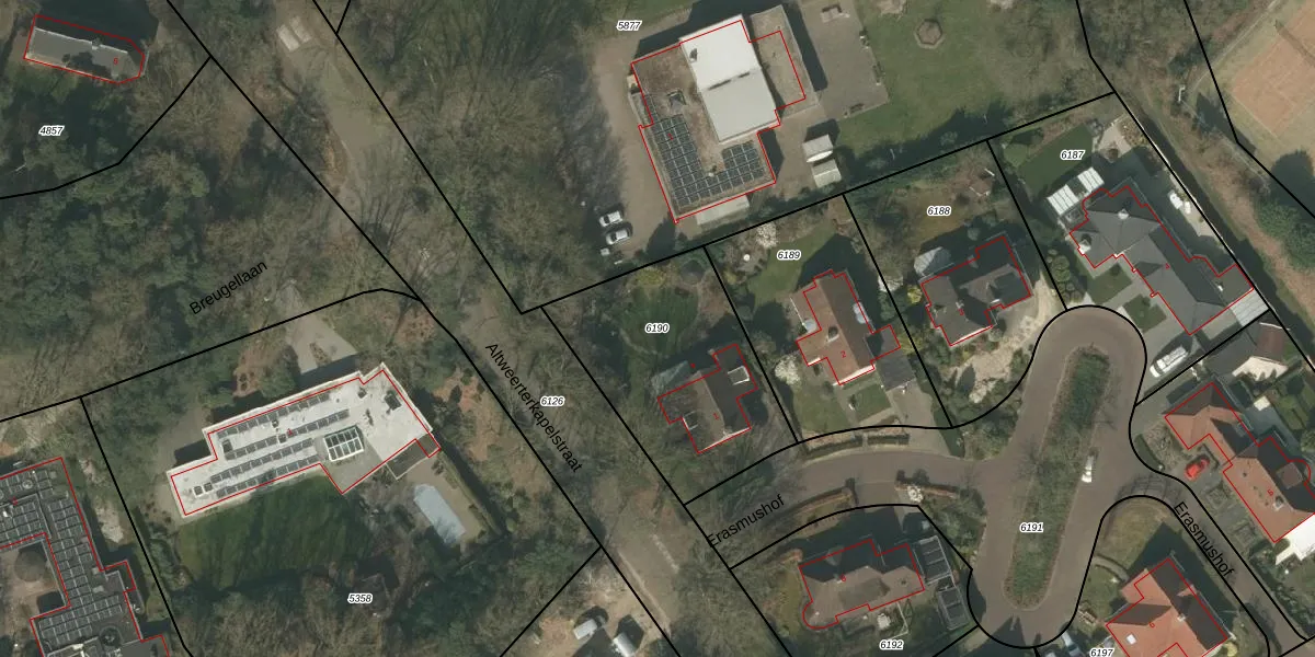
Perceel: WEE01-P-6190
795 m2 - 117 m
Eigenaar opvragen
WEE01-P-6190 (Weert)
- 6006 MX
WyO ZwehrKh hOsQ7IO9BhBJaFz cJUpgrade naar KadastraleKaart Pro
Bekijk op Street View
Download DWG/DXF/Excel
0lg19EV7Gr B2eUpgrade naar KadastraleKaart Pro
vgxgrbD6Upgrade naar KadastraleKaart Pro
WecRc X9h1FhPkb3J2ucLUpgrade naar KadastraleKaart Pro
FfC6ES4uAbIwK aHa VUpgrade naar KadastraleKaart Pro
zSbvGhKYOo728tu9o gr28Upgrade naar KadastraleKaart Pro
7Jee cOJmgHtNBnUpgrade naar KadastraleKaart Pro
dRFgukjOS457q oern25QLUpgrade naar KadastraleKaart Pro
zpv1UX4TSnnLqUpgrade naar KadastraleKaart Pro
KsDJYUti6xNMjO1rcvsF0meUpgrade naar KadastraleKaart Pro
aFtypEVzA3QZO 1FUpgrade naar KadastraleKaart Pro
21/11/2006

Percelen
Gebruik de zoekbalk of klik op een perceel om informatie over het perceel te bekijken.