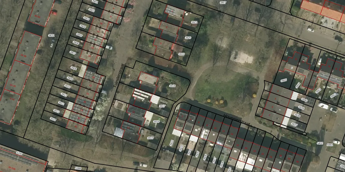
Perceel: WEE01-S-3918
KadastraleKaart.com kan meer dan je denktOntdek meer ›
Filter op bestemming 50+ datasets Eigendomsdata in één klik Percelen CRM
540 m2 - 103 m
Eigenaar opvragen
WEE01-S-3918 (Weert)
- 6004 LD
tTUcrHj4ZkfCVu W5FarBWUpgrade naar KadastraleKaart Pro
Verkoopprijs opvragen
Bekijk op Street View
Download DWG/DXF/Excel
ATIHOJQ4l4GHEvb9Upgrade naar KadastraleKaart Pro
N qyANY5Upgrade naar KadastraleKaart Pro
lNG7ZsH0QhHKx9F60Upgrade naar KadastraleKaart Pro
OrwKQ jOGZAxrUpgrade naar KadastraleKaart Pro
M Ro9 UH tXr4n9 YBPnGUpgrade naar KadastraleKaart Pro
WSERgDXT AsVF5fbUpgrade naar KadastraleKaart Pro
PSykVjPeft cvJniXheiBLUpgrade naar KadastraleKaart Pro
ZxvFUsh 05siTJaqm Upgrade naar KadastraleKaart Pro
J3I500q CGtqBEg Upgrade naar KadastraleKaart Pro
yP6juL59j9jzQaUpgrade naar KadastraleKaart Pro
08/11/2006

Percelen
Gebruik de zoekbalk of klik op een perceel om informatie over het perceel te bekijken.