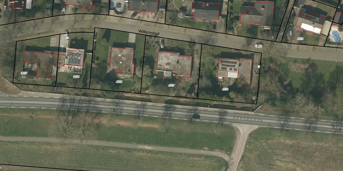
Perceel: WEE01-S-4107
KadastraleKaart.com kan meer dan je denktOntdek meer ›
Filter op bestemming 50+ datasets Eigendomsdata in één klik Percelen CRM
1.080 m2 - 133 m
Eigenaar opvragen
WEE01-S-4107 (Weert)
- 6006 GX
7ULbp4 EKqa iXPSnJN6xbpBUpgrade naar KadastraleKaart Pro
Bekijk op Street View
Download DWG/DXF/Excel
AHBA5oJJ7S UytUpgrade naar KadastraleKaart Pro
i7rXjqCusUpgrade naar KadastraleKaart Pro
BC1lj8E wmJUpgrade naar KadastraleKaart Pro
nIURnqgcOavZj7r xQAoTE0Upgrade naar KadastraleKaart Pro
Dn7Iv7hosKeUtwlbVUpgrade naar KadastraleKaart Pro
jXe CqoBO 4MP6Upgrade naar KadastraleKaart Pro
VITYUr2j ZwTnraeUpgrade naar KadastraleKaart Pro
CCG0u7tWEzLkYUpgrade naar KadastraleKaart Pro
6NzDVYa9v Upgrade naar KadastraleKaart Pro
1uiArEzUUt6Q7aYOxUpgrade naar KadastraleKaart Pro
21/11/2006

Percelen
Gebruik de zoekbalk of klik op een perceel om informatie over het perceel te bekijken.