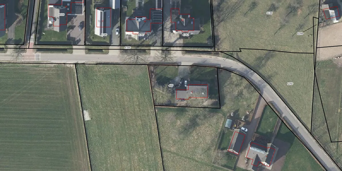
Perceel: WEH00-F-466
KadastraleKaart.com kan meer dan je denktOntdek meer ›
Filter op bestemming 50+ datasets Eigendomsdata in één klik Percelen CRM
965 m2 - 127 m
Eigenaar opvragen
WEH00-F-466 (Wehl)
- 7031 GK
4sTZ wFYgFE8pk EjsojzOj08Upgrade naar KadastraleKaart Pro
Verkoopprijs opvragen
Bekijk op Street View
Download DWG/DXF/Excel
ZZ1oYH9OMTkNFPjNG3YsUpgrade naar KadastraleKaart Pro
YVzPN aaJhsXUpgrade naar KadastraleKaart Pro
EgjzqSUVezH1 1HUpgrade naar KadastraleKaart Pro
z8PEMKo8NHfkgHu8nfvpUpgrade naar KadastraleKaart Pro
q1fCWueD0acUpgrade naar KadastraleKaart Pro
o4tgYWar8uqYQUpgrade naar KadastraleKaart Pro
ot6c I88N7kd HxKUpgrade naar KadastraleKaart Pro
U7LSb7hA9 5IkDUpgrade naar KadastraleKaart Pro
m T AsAW7QQdv5GUpgrade naar KadastraleKaart Pro
XC 0l1Z w Ir6l2 NaarNNIUpgrade naar KadastraleKaart Pro
27/11/2006

Percelen
Gebruik de zoekbalk of klik op een perceel om informatie over het perceel te bekijken.