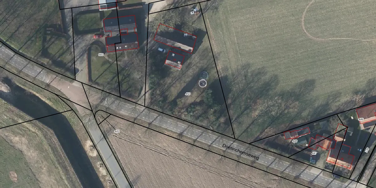
Perceel: WEH00-K-450
KadastraleKaart.com kan meer dan je denktOntdek meer ›
Filter op bestemming 50+ datasets Eigendomsdata in één klik Percelen CRM
2.240 m2 - 203 m
Eigenaar opvragen
WEH00-K-450 (Wehl)
- 7031 EP
X H NUfW 8Cy h 3N7iUpgrade naar KadastraleKaart Pro
Verkoopprijs opvragen
Bekijk op Street View
Download DWG/DXF/Excel
dXe CVtt0Upgrade naar KadastraleKaart Pro
qm HEqYmTCXosEwUpgrade naar KadastraleKaart Pro
owJEwV qcP Upgrade naar KadastraleKaart Pro
Jo8 Cx2y49Li7IazsGJVUpgrade naar KadastraleKaart Pro
cl1PItcGQ6bRRxc8mHJoUpgrade naar KadastraleKaart Pro
5MC6m5qxUpgrade naar KadastraleKaart Pro
bvYazJ SJ5 r00rzhQfElZUpgrade naar KadastraleKaart Pro
AHxPwYkkZY 2lJNLMS9QZUpgrade naar KadastraleKaart Pro
QeTMCTCZo2QiNj IISUpgrade naar KadastraleKaart Pro
JIDRJfnLhfW4DXVbIm3oUpgrade naar KadastraleKaart Pro
28/10/2025

Percelen
Gebruik de zoekbalk of klik op een perceel om informatie over het perceel te bekijken.