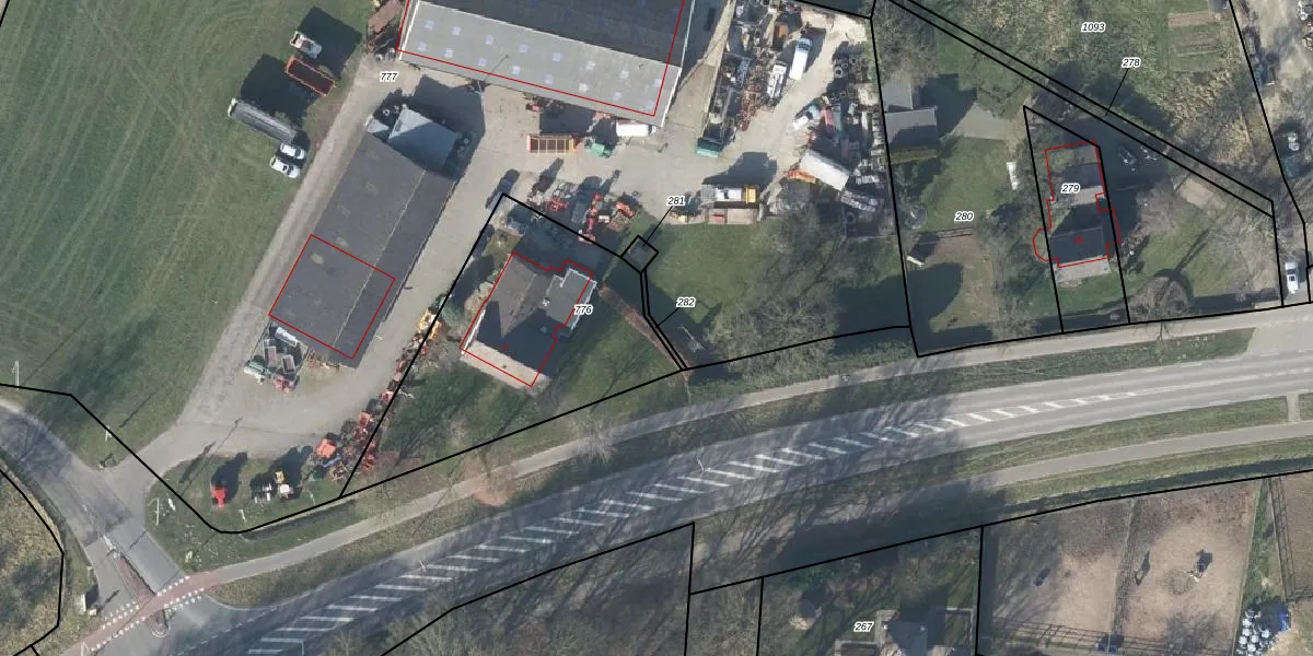
Perceel: WEH00-M-282
KadastraleKaart.com kan meer dan je denktOntdek meer ›
Filter op bestemming 50+ datasets Eigendomsdata in één klik Percelen CRM
Geen adressen bij dit perceel
15 m2 - 36 m
Eigenaar opvragen
WEH00-M-282 (Wehl)
- Geen postcode aanwezig
zfr2fzM8VxS KJNt Upgrade naar KadastraleKaart Pro
Bekijk op Street View
Download DWG/DXF/Excel
cDGG6xY3w30LhUpgrade naar KadastraleKaart Pro
D xumi dST5vZUpgrade naar KadastraleKaart Pro
X2F5t9K eE512Upgrade naar KadastraleKaart Pro
vjuv8z8z56Upgrade naar KadastraleKaart Pro
STDRw6uI8DUQUpgrade naar KadastraleKaart Pro
4T KAZ5BxeJu 4vjUpgrade naar KadastraleKaart Pro
TfNyTfKMUpgrade naar KadastraleKaart Pro
AQruUnbXqUpgrade naar KadastraleKaart Pro
12coaVE3DcJ A5nGOtru4RUpgrade naar KadastraleKaart Pro
8C1 7dpHZUpgrade naar KadastraleKaart Pro
20/07/2001

Percelen
Gebruik de zoekbalk of klik op een perceel om informatie over het perceel te bekijken.