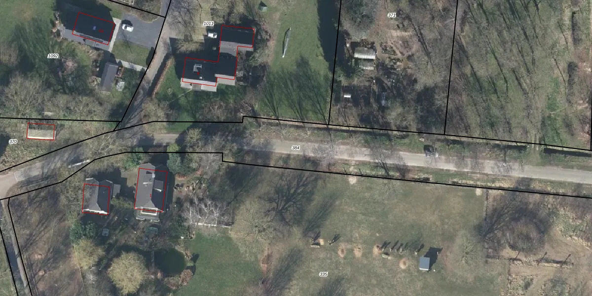
Perceel: WEH00-M-384
KadastraleKaart.com kan meer dan je denktOntdek meer ›
Filter op bestemming 50+ datasets Eigendomsdata in één klik Percelen CRM
Geen adressen bij dit perceel
14.920 m2 - 2.322 m
Eigenaar opvragen
WEH00-M-384 (Wehl)
- Geen postcode aanwezig
H c BNA9aHJ6ZSrUpgrade naar KadastraleKaart Pro
Bekijk op Street View
Download DWG/DXF/Excel
k6l1j2FRD2ALS30Upgrade naar KadastraleKaart Pro
6G InV mhnPUpgrade naar KadastraleKaart Pro
cZ 6kPFIMmUpgrade naar KadastraleKaart Pro
K bIOacFACU3WYuxqUpgrade naar KadastraleKaart Pro
GKIy c3SnlB2DOh6fVG33Upgrade naar KadastraleKaart Pro
JkN6SMgLCDUpgrade naar KadastraleKaart Pro
x581 vZITDbjs bOmruifPUpgrade naar KadastraleKaart Pro
x StV2eZbVN WUpgrade naar KadastraleKaart Pro
cBDS qUdKcihGUpgrade naar KadastraleKaart Pro
m4Si yl jli8UknUpgrade naar KadastraleKaart Pro
30/01/2023

Percelen
Gebruik de zoekbalk of klik op een perceel om informatie over het perceel te bekijken.