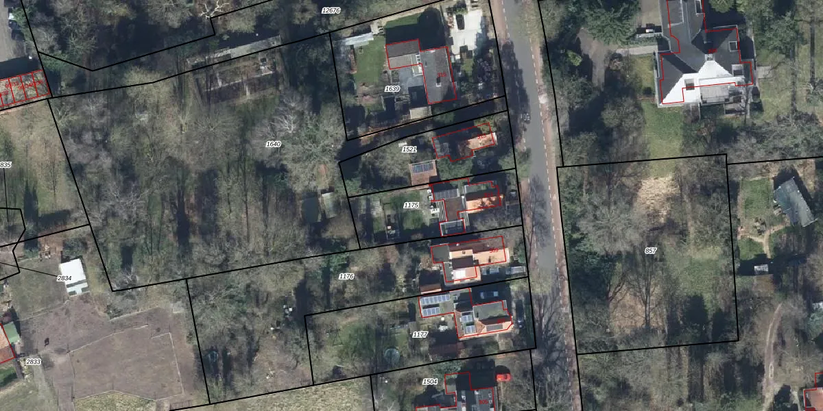
Perceel: WGN00-C-1175
KadastraleKaart.com kan meer dan je denktOntdek meer ›
Filter op bestemming 50+ datasets Eigendomsdata in één klik Percelen CRM
540 m2 - 108 m
Eigenaar opvragen
WGN00-C-1175 (Wageningen)
- 6704 AR
RGqkk b7dxy GuaPNM4 7UImDUpgrade naar KadastraleKaart Pro
Verkoopprijs opvragen
Bekijk op Street View
Download DWG/DXF/Excel
jpk58NUwFdIDOCbUpgrade naar KadastraleKaart Pro
v4PZwhLfbCUpgrade naar KadastraleKaart Pro
Aze5ZIfYK29 PIYMBlmADjUpgrade naar KadastraleKaart Pro
J9OPRlYB 2BKIel ZLiUpgrade naar KadastraleKaart Pro
8LuVPoGXbS3QUpgrade naar KadastraleKaart Pro
iZ58XzezhUpgrade naar KadastraleKaart Pro
syxD IbnbuUpgrade naar KadastraleKaart Pro
1NW K7 MH lkF9VmylUpgrade naar KadastraleKaart Pro
b8rVlWzxOl4gOwDUpgrade naar KadastraleKaart Pro
kq TWkF2Upgrade naar KadastraleKaart Pro
10/10/2002

Percelen
Gebruik de zoekbalk of klik op een perceel om informatie over het perceel te bekijken.