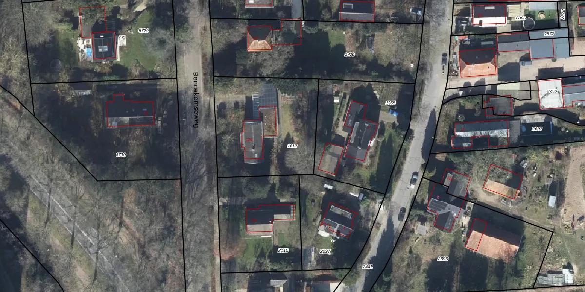
Perceel: WGN00-C-1612
KadastraleKaart.com kan meer dan je denktOntdek meer ›
Filter op bestemming 50+ datasets Eigendomsdata in één klik Percelen CRM
1.150 m2 - 136 m
Eigenaar opvragen
WGN00-C-1612 (Wageningen)
- 6704 AJ
yYzaQCTfNBGB kbJhwkkLy BJD 3R Upgrade naar KadastraleKaart Pro
Verkoopprijs opvragen
Bekijk op Street View
Download DWG/DXF/Excel
sMv 9mIUPfBjrffj U2nyUpgrade naar KadastraleKaart Pro
xpyas4VIzRXgC FLBo LLUpgrade naar KadastraleKaart Pro
qo 4HHdT6Upgrade naar KadastraleKaart Pro
y1ZOxiQJ39gRyNYUpgrade naar KadastraleKaart Pro
7KOjbtHO zT5MVRpUpgrade naar KadastraleKaart Pro
zTYlZC6652 mUj9DcG3F Upgrade naar KadastraleKaart Pro
eHhgf 4MTNNcZVn3z7 qUpgrade naar KadastraleKaart Pro
XEuHT 9xbmOUpgrade naar KadastraleKaart Pro
RvWAdVjAs3P zswmv9HUpgrade naar KadastraleKaart Pro
Pia9yXczW SJC eEtUpgrade naar KadastraleKaart Pro
27/09/2005

Percelen
Gebruik de zoekbalk of klik op een perceel om informatie over het perceel te bekijken.