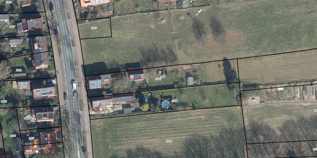
Perceel: WGN00-C-1635
KadastraleKaart.com kan meer dan je denktOntdek meer ›
Filter op bestemming 50+ datasets Eigendomsdata in één klik Percelen CRM
1.440 m2 - 221 m
Eigenaar opvragen
WGN00-C-1635 (Wageningen)
- 6706 CR
E mvYa6jWqw 28tS OzDvk15ddUpgrade naar KadastraleKaart Pro
Verkoopprijs opvragen
Bekijk op Street View
Download DWG/DXF/Excel
iQbewtvKvs sJtG 31WbUpgrade naar KadastraleKaart Pro
Ut 9oav NfBz4Upgrade naar KadastraleKaart Pro
yWDlRAWWARf GFiLxVG5Upgrade naar KadastraleKaart Pro
nEcuILVefevRBJFLDgVRQHUpgrade naar KadastraleKaart Pro
JjHW H4m0JhQ0 P1uPUpgrade naar KadastraleKaart Pro
5RIk0 I2dUpgrade naar KadastraleKaart Pro
ULI999N649pUUpgrade naar KadastraleKaart Pro
Z 7BGBPg ta CxtQwqwf 1Upgrade naar KadastraleKaart Pro
D58JYj6V5anmOLPs2dTtUpgrade naar KadastraleKaart Pro
IPSk 8olNTUpgrade naar KadastraleKaart Pro
05/11/2001

Percelen
Gebruik de zoekbalk of klik op een perceel om informatie over het perceel te bekijken.