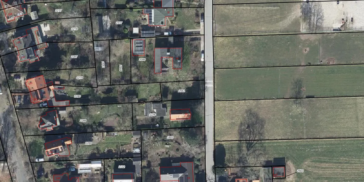
Perceel: WGN00-C-2061
KadastraleKaart.com kan meer dan je denktOntdek meer ›
Filter op bestemming 50+ datasets Eigendomsdata in één klik Percelen CRM
Geen adressen bij dit perceel
235 m2 - 68 m
Eigenaar opvragen
WGN00-C-2061 (Wageningen)
- Geen postcode aanwezig
6SD6ZAi35lyn2KqbRHjnL8iJ3GbUpgrade naar KadastraleKaart Pro
Bekijk op Street View
Download DWG/DXF/Excel
GgECT4gATUpgrade naar KadastraleKaart Pro
3ZR8uXgfY5hUpgrade naar KadastraleKaart Pro
5hvKCRzxDtKUpgrade naar KadastraleKaart Pro
QdQL6gHGoBoo1btrAAqUpgrade naar KadastraleKaart Pro
3IRC3yxi0Yb6mllHUpgrade naar KadastraleKaart Pro
bhoBl0 G1UH BGUpgrade naar KadastraleKaart Pro
v9ZKq3UfjUpgrade naar KadastraleKaart Pro
YppHAcEoNvJBM2X ODOyqQtUpgrade naar KadastraleKaart Pro
Kv wbcEVGU1wmaUUpgrade naar KadastraleKaart Pro
PS5k5t7D hdUDUpgrade naar KadastraleKaart Pro
30/10/2001

Percelen
Gebruik de zoekbalk of klik op een perceel om informatie over het perceel te bekijken.