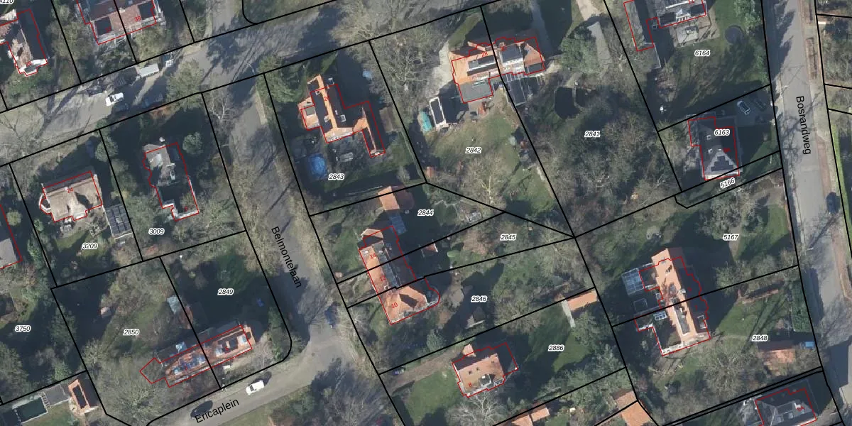
Perceel: WGN00-E-2844
KadastraleKaart.com kan meer dan je denktOntdek meer ›
Filter op bestemming 50+ datasets Eigendomsdata in één klik Percelen CRM
540 m2 - 109 m
Eigenaar opvragen
WGN00-E-2844 (Wageningen)
- 6703 ED
etA7OkRklb9VCioxijG6DIUpgrade naar KadastraleKaart Pro
Bekijk op Street View
Download DWG/DXF/Excel
hGrwJO7qUpgrade naar KadastraleKaart Pro
8OyVr 3m4xHeINUpgrade naar KadastraleKaart Pro
nAt46URGILZ YRsUnDUpgrade naar KadastraleKaart Pro
rnt3F9 J2mUpgrade naar KadastraleKaart Pro
yI9 Neoi3VpfZSaeVqUpgrade naar KadastraleKaart Pro
oxH KFF DqFMuyR8UV d0Upgrade naar KadastraleKaart Pro
dxlBCl4ST2 5OyyUpgrade naar KadastraleKaart Pro
slpyZtObCpw16OFGuKOo0nGUpgrade naar KadastraleKaart Pro
mFEolns hEl0Upgrade naar KadastraleKaart Pro
z l iO0 De rWzl5RPOUBpUpgrade naar KadastraleKaart Pro
09/11/2001

Percelen
Gebruik de zoekbalk of klik op een perceel om informatie over het perceel te bekijken.