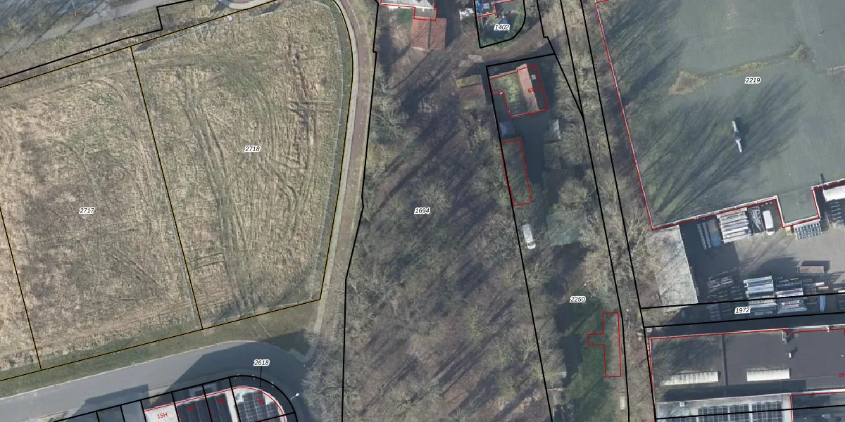
Perceel: WGN00-G-1694
KadastraleKaart.com kan meer dan je denktOntdek meer ›
Filter op bestemming 50+ datasets Eigendomsdata in één klik Percelen CRM
4.306 m2 - 406 m
Eigenaar opvragen
WGN00-G-1694 (Wageningen)
- 6702 DA
9xw0jHVg Fq7AwVo2FtUpgrade naar KadastraleKaart Pro
Verkoopprijs opvragen
Bekijk op Street View
Download DWG/DXF/Excel
9SpojdkaoUuKUpgrade naar KadastraleKaart Pro
uVv3gzbcyzQp kUpgrade naar KadastraleKaart Pro
KsDcZ fbHq09WV5R6Upgrade naar KadastraleKaart Pro
JRW hkkBmdAuN Upgrade naar KadastraleKaart Pro
Dv FWgJd4OxQRijkRFC RUpgrade naar KadastraleKaart Pro
71Va4GpJE2Upgrade naar KadastraleKaart Pro
n0EBOzVHMbhQlNNCAuKKUpgrade naar KadastraleKaart Pro
kTlbgOFnfYq5bUpgrade naar KadastraleKaart Pro
puVH S3504f r UbUUpgrade naar KadastraleKaart Pro
f L8Pc QNlJdtwHUpgrade naar KadastraleKaart Pro
04/10/2007

Percelen
Gebruik de zoekbalk of klik op een perceel om informatie over het perceel te bekijken.