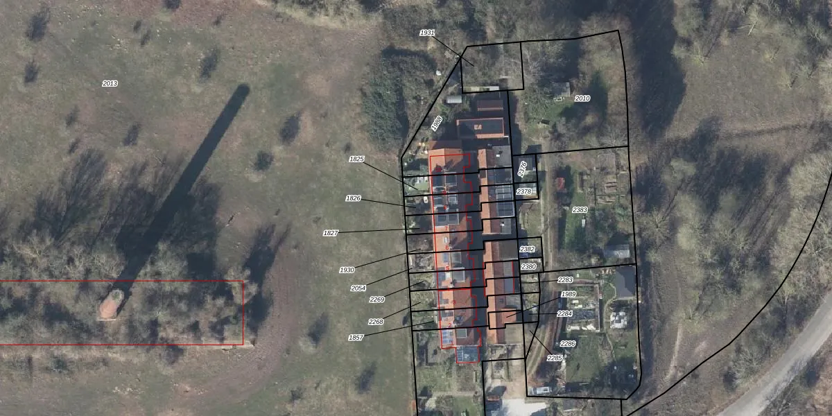
Perceel: WGN00-G-1826
KadastraleKaart.com kan meer dan je denktOntdek meer ›
Filter op bestemming 50+ datasets Eigendomsdata in één klik Percelen CRM
118 m2 - 65 m
Eigenaar opvragen
WGN00-G-1826 (Wageningen)
- 6702 PA
asu EKcUcWihe2A8FtDm VUpgrade naar KadastraleKaart Pro
Verkoopprijs opvragen
Bekijk op Street View
Download DWG/DXF/Excel
mUl7DZ G 7pvUpgrade naar KadastraleKaart Pro
6gEUnV6ZLgSuPi2SPUpgrade naar KadastraleKaart Pro
dJ4w gg ig o 36 IL Upgrade naar KadastraleKaart Pro
9efr3J5zKcezQzUpgrade naar KadastraleKaart Pro
PnjPQGiltFTK0D6j VFHMUpgrade naar KadastraleKaart Pro
JShb62DWUpgrade naar KadastraleKaart Pro
XsOg2J0ZMKTUpgrade naar KadastraleKaart Pro
j fEYa39Upgrade naar KadastraleKaart Pro
9 dBYcv 8Q7kmq Upgrade naar KadastraleKaart Pro
et JkMUhdIUpgrade naar KadastraleKaart Pro
26/08/2015

Percelen
Gebruik de zoekbalk of klik op een perceel om informatie over het perceel te bekijken.