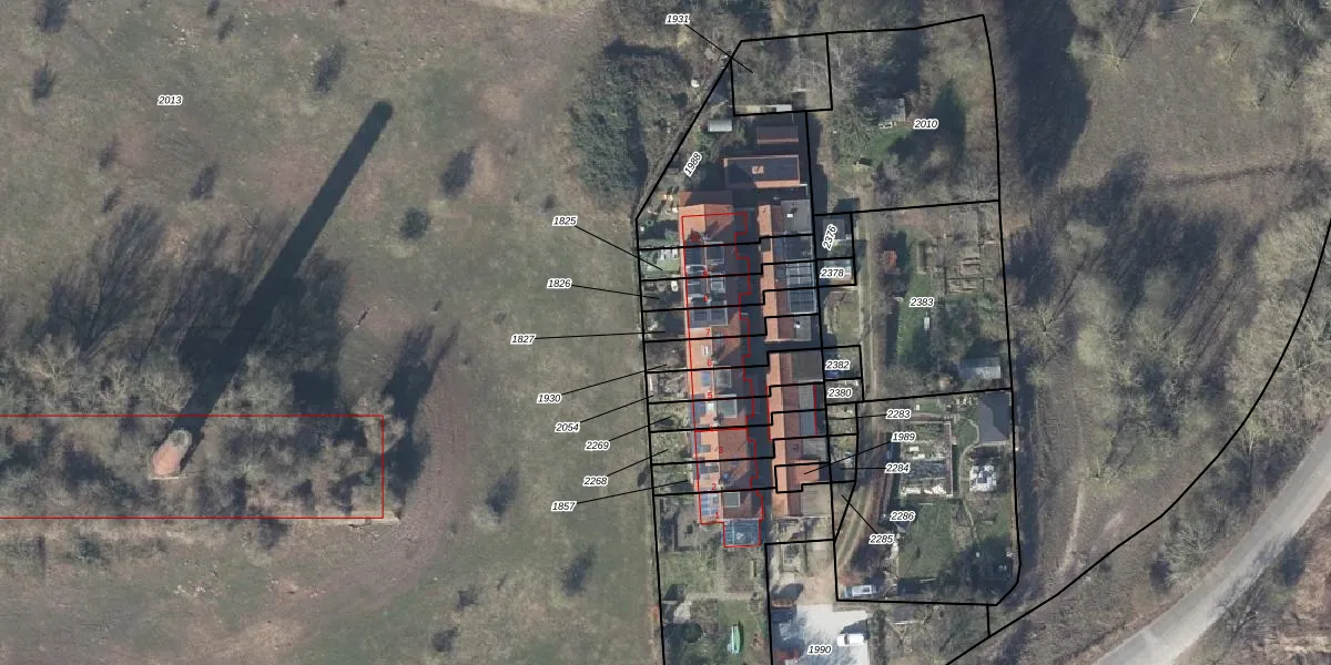
Perceel: WGN00-G-1827
KadastraleKaart.com kan meer dan je denktOntdek meer ›
Filter op bestemming 50+ datasets Eigendomsdata in één klik Percelen CRM
117 m2 - 66 m
Eigenaar opvragen
WGN00-G-1827 (Wageningen)
- 6702 PA
O RDtbCUc 4j1 3yzDd d Il e Upgrade naar KadastraleKaart Pro
Verkoopprijs opvragen
Bekijk op Street View
Download DWG/DXF/Excel
0GDyF8Jp Kh WaOBWxAsE XUpgrade naar KadastraleKaart Pro
52rSomsifd bfUpgrade naar KadastraleKaart Pro
rY9NyZ38R5 UgWqi Dmje29Upgrade naar KadastraleKaart Pro
oVQeV42M601x1Upgrade naar KadastraleKaart Pro
apTwQO8ZhiMUpgrade naar KadastraleKaart Pro
mT70kPzWkfu Qrj6KqXCUpgrade naar KadastraleKaart Pro
jTpGd2tUFPfZzN2jcQ aUpgrade naar KadastraleKaart Pro
lkaa 6vN0Ruu7MDUpgrade naar KadastraleKaart Pro
n9n7kP ZqdJBUpgrade naar KadastraleKaart Pro
WNSRNU40Upgrade naar KadastraleKaart Pro
22/09/2010

Percelen
Gebruik de zoekbalk of klik op een perceel om informatie over het perceel te bekijken.