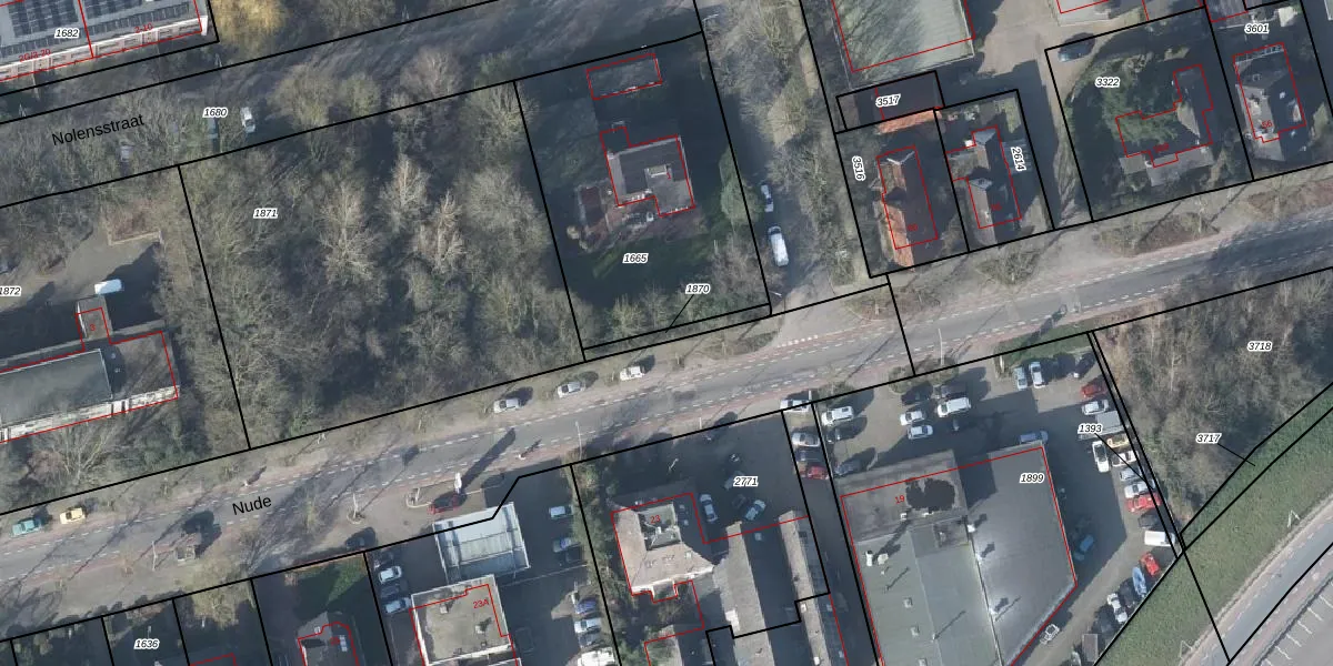
Perceel: WGN00-G-1870
KadastraleKaart.com kan meer dan je denktOntdek meer ›
Filter op bestemming 50+ datasets Eigendomsdata in één klik Percelen CRM
Geen adressen bij dit perceel
55 m2 - 61 m
Eigenaar opvragen
WGN00-G-1870 (Wageningen)
- Geen postcode aanwezig
cvT0chd llhJLV eT4MhTHlMOnRULUpgrade naar KadastraleKaart Pro
Bekijk op Street View
Download DWG/DXF/Excel
E 2LVBQ wUpgrade naar KadastraleKaart Pro
4C5vpX5 yNUpgrade naar KadastraleKaart Pro
XFFF1fBGLbJQ0Upgrade naar KadastraleKaart Pro
vZy9 IqgykUViUpgrade naar KadastraleKaart Pro
wv5 Wd aMeUpgrade naar KadastraleKaart Pro
HYwOFMCv6uZjolEUpgrade naar KadastraleKaart Pro
7WRFnQy13fAA1talTdlUpgrade naar KadastraleKaart Pro
I71Jf24fXhijUpgrade naar KadastraleKaart Pro
JADd12NZU5L 2HHdXI9H xEUpgrade naar KadastraleKaart Pro
4 Sm CQgF fZVJRtUpgrade naar KadastraleKaart Pro
30/11/2001

Percelen
Gebruik de zoekbalk of klik op een perceel om informatie over het perceel te bekijken.