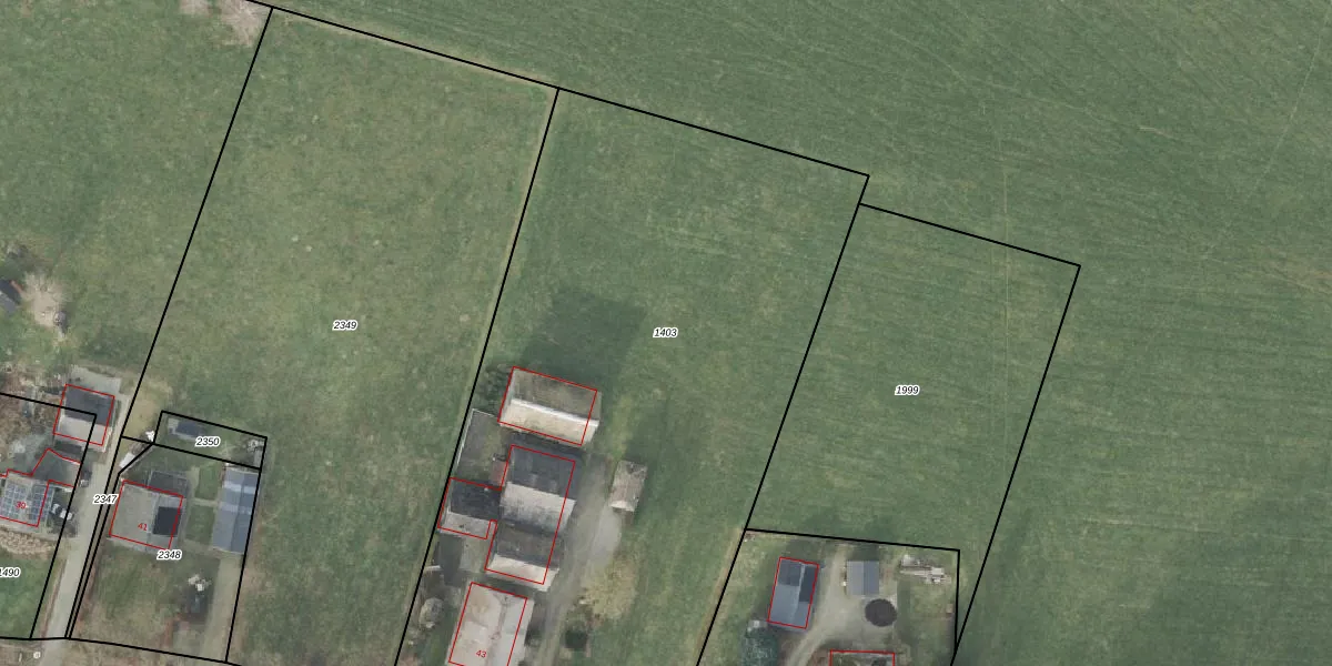
Perceel: WHE00-C-1403
KadastraleKaart.com kan meer dan je denktOntdek meer ›
Filter op bestemming 50+ datasets Eigendomsdata in één klik Percelen CRM
4.260 m2 - 279 m
Eigenaar opvragen
WHE00-C-1403 (Wijhe)
- 8131 SB
ZPje2M7Y IiF4L0WDuJqQqRhFxUpgrade naar KadastraleKaart Pro
Bekijk op Street View
Download DWG/DXF/Excel
Cw5 TdRg7i3KGIUpgrade naar KadastraleKaart Pro
Qpmolff1koSbQ8Upgrade naar KadastraleKaart Pro
o1GOaTeWys qdUpgrade naar KadastraleKaart Pro
iMv kcPWWMxmaMr4Upgrade naar KadastraleKaart Pro
j0qiJc82GM ubpRpdoPUpgrade naar KadastraleKaart Pro
K1Pxe gN3PzEVZUht1XUpgrade naar KadastraleKaart Pro
AI0vMEigyUpgrade naar KadastraleKaart Pro
lvfI2 M3JNrGrIUpgrade naar KadastraleKaart Pro
q7a5XZ MLX3c6yf sUpgrade naar KadastraleKaart Pro
rB4hCD1PpYoeYr 1jUpgrade naar KadastraleKaart Pro
23/06/2003

Percelen
Gebruik de zoekbalk of klik op een perceel om informatie over het perceel te bekijken.