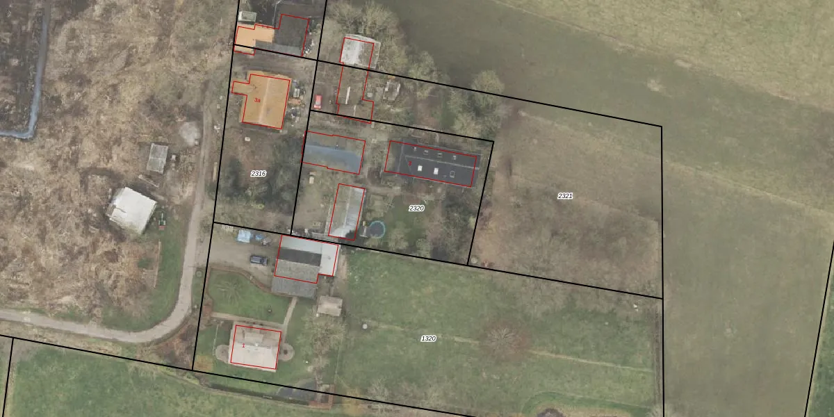
Perceel: WHE00-C-2320
KadastraleKaart.com kan meer dan je denktOntdek meer ›
Filter op bestemming 50+ datasets Eigendomsdata in één klik Percelen CRM
1.450 m2 - 148 m
Eigenaar opvragen
WHE00-C-2320 (Wijhe)
- 8131 RX
ns1 FPpaCqyrpUWDDDUpgrade naar KadastraleKaart Pro
Bekijk op Street View
Download DWG/DXF/Excel
CbAbri1nDVgNmZlQIeUpgrade naar KadastraleKaart Pro
BYjOKUO cuYaCUpgrade naar KadastraleKaart Pro
ycKwKyEUevTSDB rUpgrade naar KadastraleKaart Pro
l4sUz ARliJaSUpgrade naar KadastraleKaart Pro
5G38wIAMY mUpgrade naar KadastraleKaart Pro
NwH2PIkuWadqXxYE8SUpgrade naar KadastraleKaart Pro
yyYxnCMegllUpgrade naar KadastraleKaart Pro
oFKLa jPFM422JoUpgrade naar KadastraleKaart Pro
ZaiWFmC77bNzoV S c bV5Upgrade naar KadastraleKaart Pro
QrLu8dZ HtVa4 XbegULpUpgrade naar KadastraleKaart Pro
07/02/2013

Percelen
Gebruik de zoekbalk of klik op een perceel om informatie over het perceel te bekijken.