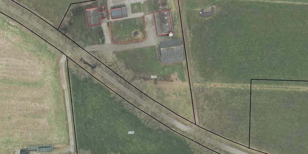
Perceel: WHE00-C-2360
KadastraleKaart.com kan meer dan je denktOntdek meer ›
Filter op bestemming 50+ datasets Eigendomsdata in één klik Percelen CRM
4.225 m2 - 287 m
Eigenaar opvragen
WHE00-C-2360 (Wijhe)
- 8131 RP
IgectZ8 fZ5XRbwcGjKOlUpgrade naar KadastraleKaart Pro
Bekijk op Street View
Download DWG/DXF/Excel
y WNsnjl0 DuUpgrade naar KadastraleKaart Pro
7L nq1SuqMMBNMAVUpgrade naar KadastraleKaart Pro
jSb ap E6PU6pOc QJkvuRHUpgrade naar KadastraleKaart Pro
ovj355645OkkuX7Upgrade naar KadastraleKaart Pro
dsvG9kZdxS2kUpgrade naar KadastraleKaart Pro
WqiZcwNB7rurTfEk 1Upgrade naar KadastraleKaart Pro
heEsDKIvrujljtOkqn 1Upgrade naar KadastraleKaart Pro
c8cO89l 6nZSDOupcYUpgrade naar KadastraleKaart Pro
2aYbXWSPdIm Upgrade naar KadastraleKaart Pro
NQVIfMM w93NPwOE1AUpgrade naar KadastraleKaart Pro
23/12/2015

Percelen
Gebruik de zoekbalk of klik op een perceel om informatie over het perceel te bekijken.