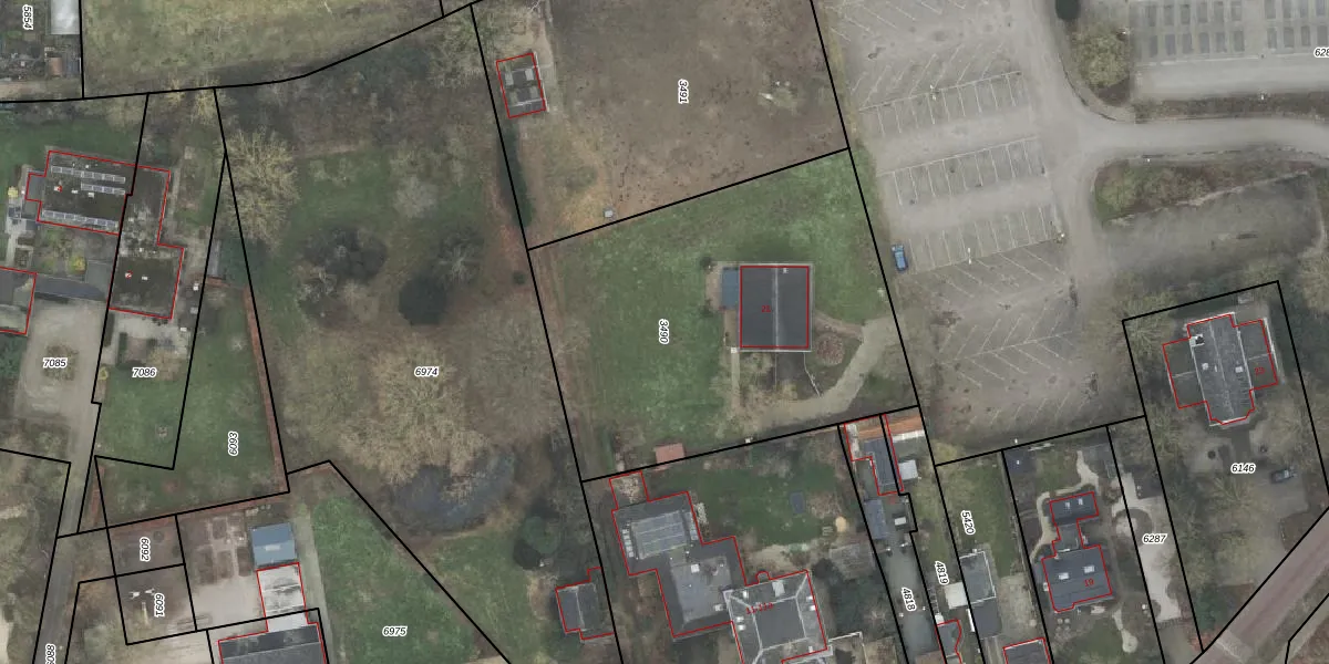
Perceel: WHE00-F-3490
KadastraleKaart.com kan meer dan je denktOntdek meer ›
Filter op bestemming 50+ datasets Eigendomsdata in één klik Percelen CRM
1.940 m2 - 179 m
Eigenaar opvragen
WHE00-F-3490 (Wijhe)
- 8131 DG
zMMotEZxnIpv7w7I4Upgrade naar KadastraleKaart Pro
Bekijk op Street View
Download DWG/DXF/Excel
GN3ifxSLxUpgrade naar KadastraleKaart Pro
iU4WYI 9au4u8 jUpgrade naar KadastraleKaart Pro
jh1f sMOUpgrade naar KadastraleKaart Pro
RXzunepKW2 fG3g4KekyUpgrade naar KadastraleKaart Pro
rKy VFcp5LLLUpgrade naar KadastraleKaart Pro
xKm55FLRf5laB1nLlev1pUpgrade naar KadastraleKaart Pro
IBVtOVkR PCk9TRLSzyUpgrade naar KadastraleKaart Pro
l3hYsWrHhq0LdmP9A6Upgrade naar KadastraleKaart Pro
nEA w98OuzIy 40YYO ZiZUpgrade naar KadastraleKaart Pro
TI2wDA pnofQiiE A WgUpgrade naar KadastraleKaart Pro
18/11/2019

Percelen
Gebruik de zoekbalk of klik op een perceel om informatie over het perceel te bekijken.