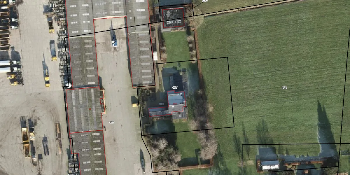
Perceel: WHE00-L-485

Adres bij perceel

Perceeloppervlakte & perceelomtrek

2.000 m2 - 186 m

Eigenaar van het perceel

Eigenaar opvragen

Kadastrale aanduiding

WHE00-L-485 (Wijhe)

Postcode in perceel

    8131 PW

Type eigenaar

01Fl6Lg579Nsb4 HUMU5ojTZjMmjVUpgrade naar KadastraleKaart Pro

Google Street View

Bekijk op Street View

Download

Download DWG/DXF/Excel

Gerelateerde percelen

5uFD21uGagdKmOUpgrade naar KadastraleKaart Pro

Bebouwd/onbebouwd/water/groen

QC xXsuh QpsjOUpgrade naar KadastraleKaart Pro
Administratieve eenheden
CVPzY2 LRUpgrade naar KadastraleKaart Pro

Appartementsrechten

4tzZSC 3hFmFceeUpgrade naar KadastraleKaart Pro

Vergunningverlenende instanties

X qj2oi9Upgrade naar KadastraleKaart Pro

Bedekking (BGT)

h7UBTWJADeF7kqDH4lzBf8Upgrade naar KadastraleKaart Pro

Publiekrechtelijke beperkingen

Q7ac7btg6xUpgrade naar KadastraleKaart Pro

Grensnauwkeurigheid

k TAV9mInE 6PLCs8p1Upgrade naar KadastraleKaart Pro

Coördinaten hoekpunten perceel

yl6D0aY2d Upgrade naar KadastraleKaart Pro

Hoogteligging

ZLJMVpV5q1dBIjowX09MgfUpgrade naar KadastraleKaart Pro

Laatst gewijzigd

21/06/2006

Kadastrale kaart met maatvoering 59,95
Kadastrale kaart pakket 28,95

Percelen

Gebruik de zoekbalk of klik op een perceel om informatie over het perceel te bekijken.
Locatie
Meten
Lagen
Download