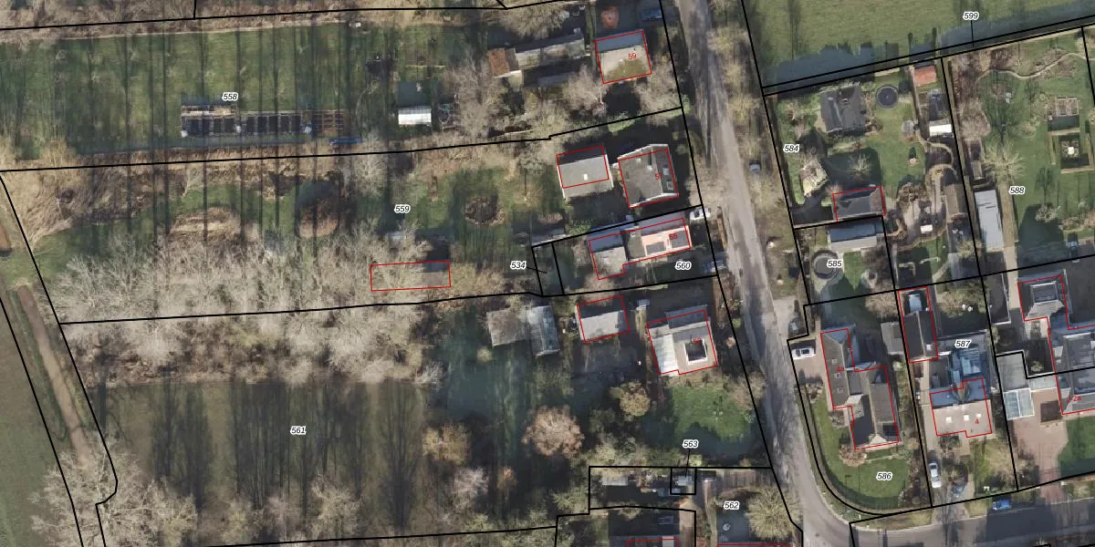
Perceel: WHE00-L-534

Adres bij perceel

Geen adressen bij dit perceel

Perceeloppervlakte & perceelomtrek

36 m2 - 27 m

Eigenaar van het perceel

Eigenaar opvragen

Kadastrale aanduiding

WHE00-L-534 (Wijhe)

Postcode in perceel

    Geen postcode aanwezig

Type eigenaar

r4u ldMiTjqnt0Y0fcUpgrade naar KadastraleKaart Pro

Google Street View

Bekijk op Street View

Download

Download DWG/DXF/Excel

Gerelateerde percelen

xA0wTC4ExS BnKUpgrade naar KadastraleKaart Pro

Bebouwd/onbebouwd/water/groen

xflwSUg8Upgrade naar KadastraleKaart Pro
Administratieve eenheden
Y0Zr438YsnOjBVIQ7nSUpgrade naar KadastraleKaart Pro

Appartementsrechten

Ai0Tld26 6wUpgrade naar KadastraleKaart Pro

Vergunningverlenende instanties

qMmJo7nSmuBAx Upgrade naar KadastraleKaart Pro

Bedekking (BGT)

HSxhgAYauemCU4K1qc Upgrade naar KadastraleKaart Pro

Publiekrechtelijke beperkingen

MQtZVK daUpgrade naar KadastraleKaart Pro

Grensnauwkeurigheid

68H1 c YWOYUpgrade naar KadastraleKaart Pro

Coördinaten hoekpunten perceel

I3voxy bUpgrade naar KadastraleKaart Pro

Hoogteligging

928OdyYUlD m8tuRXZwUpgrade naar KadastraleKaart Pro

Laatst gewijzigd

26/06/2006

Kadastrale kaart met maatvoering 59,95
Kadastrale kaart pakket 28,95

Percelen

Gebruik de zoekbalk of klik op een perceel om informatie over het perceel te bekijken.
Locatie
Meten
Lagen
Download