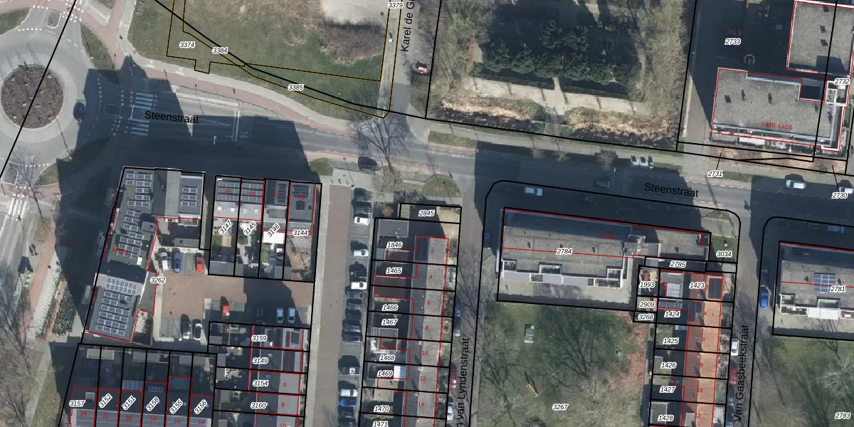
Perceel: WIJ01-E-2845

Adres bij perceel

Geen adressen bij dit perceel

Perceeloppervlakte & perceelomtrek

54 m2 - 36 m

Eigenaar van het perceel

Eigenaar opvragen

Kadastrale aanduiding

WIJ01-E-2845 (Wijk bij Duurstede)

Postcode in perceel

    Geen postcode aanwezig

Type eigenaar

WI 5di3vHyaqtM4VrfsUpgrade naar KadastraleKaart Pro

Google Street View

Bekijk op Street View

Download

Download DWG/DXF/Excel

Gerelateerde percelen

xPkVNsBPd7RcyXSb21N1756Upgrade naar KadastraleKaart Pro

Bebouwd/onbebouwd/water/groen

SvR9H Hcr vD4m8Upgrade naar KadastraleKaart Pro
Administratieve eenheden
Yw OCaBZcBB 1MM51eFUpgrade naar KadastraleKaart Pro

Appartementsrechten

Y3IIN6WmdFLEcUoPRSc8sUUpgrade naar KadastraleKaart Pro

Vergunningverlenende instanties

HAg 9o4fy1Qus1km0Kg tUUpgrade naar KadastraleKaart Pro

Bedekking (BGT)

XZpq7rOlb8Upgrade naar KadastraleKaart Pro

Publiekrechtelijke beperkingen

ofkM2sxim6XYtUpgrade naar KadastraleKaart Pro

Grensnauwkeurigheid

dbTEF2HrrcaoVUpgrade naar KadastraleKaart Pro

Coördinaten hoekpunten perceel

yiviqH2OXuQunUpgrade naar KadastraleKaart Pro

Hoogteligging

vVLfbC5Ce Upgrade naar KadastraleKaart Pro

Laatst gewijzigd

13/09/2013

Kadastrale kaart met maatvoering 59,95
Kadastrale kaart pakket 28,95

Percelen

Gebruik de zoekbalk of klik op een perceel om informatie over het perceel te bekijken.
Locatie
Meten
Lagen
Download