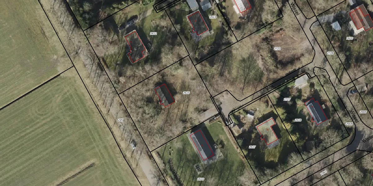
Perceel: WIJ03-A-2615
KadastraleKaart.com kan meer dan je denktOntdek meer ›
Filter op bestemming 50+ datasets Eigendomsdata in één klik Percelen CRM
1.519 m2 - 157 m
Eigenaar opvragen
WIJ03-A-2615 (De Wijk)
- 7958 TS
fFgwdaDv5z MIa lUpgrade naar KadastraleKaart Pro
Verkoopprijs opvragen
Bekijk op Street View
Download DWG/DXF/Excel
K7 5t6h3UBYxe5HUpgrade naar KadastraleKaart Pro
l noNfy 1ZivBhUDT9Upgrade naar KadastraleKaart Pro
amciXJcEr8ofSu OpUpgrade naar KadastraleKaart Pro
z YDkGaXxj2CFRcHr5ksNUpgrade naar KadastraleKaart Pro
Rt d29tk9Upgrade naar KadastraleKaart Pro
x 0YAmU8iaUpgrade naar KadastraleKaart Pro
McA bINpZ CBNbTEM1jEpUpgrade naar KadastraleKaart Pro
Bo47Jxs1WZhiWUpgrade naar KadastraleKaart Pro
aV imJ5sEO UdXJ1yB kh Upgrade naar KadastraleKaart Pro
sWA0 c4kFCj3KLLUpgrade naar KadastraleKaart Pro
11/02/2003

Percelen
Gebruik de zoekbalk of klik op een perceel om informatie over het perceel te bekijken.